
Construction modulaire : l’avenir du bâtiment rapide et durable
Construire plus vite, mieux et avec moins d’impact : tel est le pari de la construction modulaire. Entre…
3 résultats
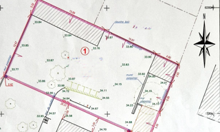
En exclusivité à la haie fouassière ! À seulement 500 m de la gare et de la ligne tram-train vers nantes, route de clisson à la haye-fouassière, découvrez ce terrain à bâtir d'environ 550 m², situé en premier rideau. La division parcellaire sera réalisée avant la vente. Le terrain sera borné (à la charge du vendeur) et restera à viabiliser (à la charge de l'acquéreur). Dimensions approximatives : - façade sur route de clisson : 25 m env. - longueur côté ouest : 35 m env. - longueur côté est : 22,5 m env. - façade au fond de parcelle : 17,5 m env. Construction possible en plain-pied ou à étage, conformément à la zone ub du plu. Une cuve de récupération des eaux pluviales est déjà présente et profitera au futur acquéreur. Accès rapide vers vertou, le pallet, la chapelle-heulin, basse-goulaine et haute-goulaine. Les informations sur les risques auxquels ce bien est exposé sont disponibles sur le site géorisques : ce bien immobilier vous est proposé par dp transactions, détenteur de la carte professionnelle (n° cpi 4401 2019 000 039 621), en partenariat avec la société digimo, détentrice de la carte professionnelle (n° cpi 4401 2018 000 024 372).
Exclusivité-Vincent POGU vous propose de terrain à bâtir sur la commune de la Haie-Fouassière (44). Situé au coeur du bourg, ce beau terrain constructible offre un cadre de vie agréable et pratique, à proximité immédiate des commodités (écoles, commerces, transports ? ). Caractéristiques principales : Terrain de 368 m², non viabilisé, mais réseaux (eau, électricité, tout-à-l'égout, télécom) passant à proximité Certificat d'urbanisme opérationnel déjà obtenu En première rideau (pas de passage par un autre terrain) Environnement calme et résidentiel Ce terrain offre une belle opportunité pour concrétiser votre projet de construction, dans une commune recherchée de l'agglomération nantaise, bien desservie par le train et les axes routiers. (6.67 % honoraires TTC à la charge de l'acquéreur.) Vincent POGU (EI) Agent Commercial - Numéro RSAC : Nantes 912 304 441 -. Les informations sur les risques auxquels ce bien est exposé sont disponibles sur le site Géorisques : www. georisques. gouv. fr.
Iad france - frédéric raimbaud vous propose : terrain non viabilisé en zone uab secteur la croix moriceau de 490 m² situé au 21 route de clisson. Honoraires d'agence à la charge de l'acquéreur. Prix honoraires inclus : 99000 euros. Prix hors honoraires : 93000 euros. Honoraires ttc à la charge de l'acquéreur (6,45% du prix du bien hors honoraires) : 6000 euros. Bien non soumis au dpe. Les informations sur les risques auxquels ce bien est exposé, y compris l'obligation légale de débroussaillement, sont disponibles sur le site géorisques : la présente annonce immobilière a été rédigée sous la responsabilité éditoriale de m frédéric raimbaud mandataire indépendant en immobilier (sans détention de fonds), agent commercial de la sas i@d france immatriculé au rsac de nantes sous le numéro 529812364, titulaire de la carte de démarchage immobilier pour le compte de la société i@d france sas.
Autres annonces à proximité de La Haie-Fouassière (44690) avec vos critères
Vincent pogu vous propose ce terrain a bâtir de 1092 m² sur la commune de vertou. Au calme dans son hameau et a seulement trois minutes du bourg. Terrain a viabiliser. N'hesitez pas a me contacter pour avoir des informations. Pour visiter et vous accompagner dans votre projet, contactez vincent pogu, au 06 87 76 23 43 ou par courriel à v.pogu@proprietes-privees.com selon l'article l. 561.5 du code monétaire et financier, pour l'organisation de la visite, la présentation d'une pièce d'identité vous sera demandée. Cette vente est garantie 12 mois. Cette présente annonce a été rédigée sous la responsabilité éditoriale de vincent pogu agissant sous le statut d'agent commercial immatriculé au rsac nantes 912 304 441 auprès de la sas proprietes privees, au capital de 44 920 euros, zac le chêne ferré - 44 allée des cinq continents 44120 vertou; siret 487 624 777 00040, rcs nantes. Carte professionnelle transactions sur immeubles et fonds de commerce (t) et gestion immobilière (g) n° cpi 4401 2016 000 010 388 délivrée par la cci nantes - saint nazaire. Compte séquestre n°309 32 50 84 67 bpa saint-sebastien-sur-loire (44230) ; garantie galian - 89 rue de la boétie, 75008 paris - n°28137 j pour 2 000 000 euros pour t et 120 000 euros pour g. Assurance responsabilité civile professionnelle par mma entreprise n° de police 120.137. 405 mandat réf : 394195- le professionnel garantit et sécurise votre projet immobilier. (5.00 % honoraires ttc à la charge de l'acquéreur.) vincent pogu (ei) agent commercial - numéro rsac : nantes 912 304 441 -.

Recevez en temps réel les dernières annonces correspondant à votre recherche
Iad France - Kevin Foucault vous propose : Parcelle de 342 m² viabilisée et libre de constructeur. Idéalement situé dans le cOEur du bourg de cette charmante commune dynamique, venez découvrir ce beau terrain rectangulaire exposé Ouest. Sa façade de 15 mètres linéaires vous permettra d'envisager une construction de plein pied comme de maison à étage. Bien rare sur le secteur. Honoraires d'agence à la charge de l'acquéreur. Prix honoraires inclus : 104900 euros. Prix hors honoraires : 99000 euros. Honoraires TTC à la charge de l'acquéreur (5,96% du prix du bien hors honoraires) : 5900 euros. Bien non soumis au DPE. Les informations sur les risques auxquels ce bien est exposé, y compris l'obligation légale de débroussaillement, sont disponibles sur le site Géorisques : La présente annonce immobilière a été rédigée sous la responsabilité éditoriale de M Kevin Foucault mandataire indépendant en immobilier (sans détention de fonds), agent commercial de la SAS I@D France immatriculé au RSAC de NANTES sous le numéro 921412706, titulaire de la carte de démarchage immobilier pour le compte de la société I@D France SAS.
°°°°° baisse de prix °°°°° emplacement exceptionnel ! Niché dans un des quartiers les plus recherchés de vertou, ce terrain abrite une maison dont la façade en pierre pourra être conservée en tant qu'héritage patrimonial au calme absolu et dans la verdure, le terrain est située à seulement 5 minutes à pied du bourg et des bords de sèvre sa parcelle de 800 m² promet la réussite d'un projet de reconstruction ambitieux, pour une famille désireuse d'allier espace, calme, qualité de vie et proximité immédiate du bourg plus qu'un toit, c'est une opportunité rare de faire un cocon sur-mesure : une maison d'architecte qui vous ressemblera, dans un des plus beaux villages de vertou et parce que dans une maison on peut tout changer sauf son emplacement. Alors autant choisir le meilleur l'accompagnement par un architecte permettra d'exploiter au mieux les nombreuses possibilités offertes par le plan local d'urbanisme les honoraires sont à la charge du vendeur. Les informations sur les risques auxquels ce bien est exposé sont disponibles sur le site géorisques : www. Georisques. Gouv. Fr. Réseau immobilier capifrance - votre agent commercial (rsac n°841 454 465 - greffe de nantes) damien bissieres entrepreneur individuel 06 48 17 32 94 - réf. 912756.
Iad france - frédéric raimbaud vous propose : terrain de 189 m² libre de constructeur situé à 800m de la place de l'église de vertou. Eau et électricité dans le bâtiment à démolir. Zone umd1 possibilité de maison à étage faire demande de raccordement au tout à l'égout. Honoraires d'agence à la charge de l'acquéreur. Prix honoraires inclus : 122500 euros. Prix hors honoraires : 115000 euros. Honoraires ttc à la charge de l'acquéreur (6,52% du prix du bien hors honoraires) : 7500 euros. Bien non soumis au dpe. Les informations sur les risques auxquels ce bien est exposé, y compris l'obligation légale de débroussaillement, sont disponibles sur le site géorisques : la présente annonce immobilière a été rédigée sous la responsabilité éditoriale de m frédéric raimbaud mandataire indépendant en immobilier (sans détention de fonds), agent commercial de la sas i@d france immatriculé au rsac de nantes sous le numéro 529812364, titulaire de la carte de démarchage immobilier pour le compte de la société i@d france sas.
Vous avez un projet de construction ? Situé à 3 minutes du centre bourg de vertou. Je vous propose ce terrain libre de constructeur de 418 m², exposé sud / est. Les réseaux sont disponible en façade. Il est situé en zone ume. Possibilité de réaliser une maison de plus de 120 m². Dossier sur demande. Les informations sur les risques auxquels ce bien est exposé sont disponibles sur le site géorisques : prix de vente : 124 200 € honoraires charge vendeur contactez votre conseiller safti : vincent dubreil, tél. : 06 23 04 84 97, e-mail : vincent.dubreil@safti.fr - ei - agent commercial immatriculé au rsac de nantes sous le numéro 883 786 014.
Terrain situé en lotissement viabilisé au coeur de Vertou, proche Basse Goulaine, dans un quartier résidentiel calme, non loin des commerces, transports et établissements scolaires. Une belle opportunité ! Terrain sélectionné et vu pour vous sous réserve de disponibilité et au prix indiqué par notre partenaire foncier. Les informations sur les risques auxquels ce bien est exposé sont disponibles sur le site Géorisques : .
Iad france - kevin kernoa vous propose : terrain au sud de la grammoire au calme : en fond d'impasse, au calme dans son écrin de verdure, un magnifique terrain constructible libre de constructeur de 480 m² exposition sud. Zone umd1 du plum, possibilité de réaliser une maison de plain-pied ou à étage. Venez découvrir ce terrain avec sa magnifique vue sur des espaces boisés et classés. À 2 kms de vertou centre, à 1km de la gare et proches des lignes 42 / 60 / 112 / 122 terrain libre de tout constructeur honoraires d'agence à la charge du vendeur. Bien non soumis au dpe. Les informations sur les risques auxquels ce bien est exposé, y compris l'obligation légale de débroussaillement, sont disponibles sur le site géorisques : la présente annonce immobilière a été rédigée sous la responsabilité éditoriale de m kevin kernoa mandataire indépendant en immobilier (sans détention de fonds), agent commercial de la sas i@d france immatriculé au rsac de nantes sous le numéro 829987304, titulaire de la carte de démarchage immobilier pour le compte de la société i@d france sas.
Emplacement rare vous avez un projet de construction et rechercher un emplacement de qualité ? Situé en plein centre bourg de vertou. Je vous propose ce terrain libre de constructeur de 461 m², exposé plein sud. 11.2m de façade et 32m de profondeur. Aménagement du terrain à prévoir. Les réseaux sont disponible en façade. Il est situé en zone umd1. Possibilité de réaliser une maison de plus de 150 m². Merci de privilégier les appels. Les informations sur les risques auxquels ce bien est exposé sont disponibles sur le site géorisques : prix de vente : 207 000 € honoraires charge vendeur contactez votre conseiller safti : vincent dubreil, tél. : 06 23 04 84 97, e-mail : vincent.dubreil@safti.fr - ei - agent commercial immatriculé au rsac de nantes sous le numéro 883 786 014.
Exclusivite - véronique le breton vous propose un terrain à bâtir sur la commune de le pallet. À deux minutes à pied du centre bourg, ce beau terrain constructible offre un cadre de vie verdoyant et pratique, à proximité des commodités (commerces, services, école primaire) commune desservie par le ter reliant nantes centre en 20 minutes. Caractéristiques de ce terrain : surface 460 m², non viabilisé mais réseaux (eau, électricité, tout-à -l'égout, fibre) passant devant. Certificat d'urbanisation déjà obtenu. Permis de construire déjà déposé et obtenu pour une maison d'environ 114 m² environnement calme et agréable. Prix de vente 136 500 euros hai soit 130 000 euros net vendeur + 6 500 euros d'honoraires charge acquéreur. Cette présente annonce a été rédigée sous la responsabilité éditoriale de véronique le breton agissant sous le statut d'agent commercial immatriculé au rsac 839845823 nantes auprès de la sas proprietes privees, réseau immobilier, au capital de 40000 euros, 44 allée des cinq continents - zac le chêne ferré, 44120 vertou, rcs nantes n° 487 624 777 00040, carte professionnelle t et g n° cpi 4401 2016 000 010 388 cci nantes-saint nazaire. Garantie galian - 89 rue de la boétie, 75008 paris mandat réf : 434883 le professionnel garantit et sécurise votre projet immobilière (5.00 % honoraires ttc à la charge de l'acquéreur.) véronique le breton (ei) agent commercial - numéro rsac : nantes 839845823 -. Les informations sur les risques auxquels ce bien est exposé sont disponibles sur le site géorisques : www. Georisques. Gouv. Fr.
Terrain constructible mouzillon, la barillière (44330). Dominique charron vous présente ce terrain de 1 139 m² en zone ub, situé au calme d'un village recherché. Au milieu du village, le terrain est non viabilisé, mais tous les réseaux sont disponibles à proximité y compris l'assainissement collectif. La surface entièrement constructible offre de belles possibilités pour un projet de maison individuelle ou pour l'implantation de 2 locatifs. Prix : 137 500 euros (honoraires inclus, 7 500 euros ttc à la charge de l'acquéreur, soit 130 000 euros hors honoraires). Le certificat d'urbanisme opérationnel est en cours d'obtention. Les informations sur les risques auxquels ce bien est exposé sont disponibles sur le site géorisques : n'hésitez pas à me demander la fiche commerciale. Pour visiter et vous accompagner dans votre projet, contactez dominique charron, agissant sous le statut d'agent commercial auprès de la sas proprietes privees, au 06 11 28 11 80 ou par courriel à d.charron@proprietes-privees.com, rsac 850401662 nantes. Mandat référence 434004. Le professionnel garantit et sécurise votre projet immobilier. Sas proprietes privees, 44 allée des cinq continents, zac le chêne ferré - bâtiment c, 44120 vertou, carte professionnel cpi 4401 2016 000 010 388 cci nantes-saint nazaire. (5.77 % honoraires ttc à la charge de l'acquéreur.) dominique charron (ei) agent commercial - numéro rsac : nantes 850401662 -.
Exclusivité vincent pogu vous propose ce magnifique terrain à bâtir de 2 018 m² sur la commune de vertou. Belle parcelle de 2 018 m² dont 800 m² en zone ume. Situé sur la commune de vertou, ce terrain en premier rideau bénéficie d'une façade d'environ 17 m, orientée sud-est, parfaite pour une maison lumineuse le terrain offre un cadre naturel exceptionnel ? Boisé, calme ? Avec un étang en fond de parcelle, et des hangars en tôle existants (option de conservation ou démolition). C'est un terrain à bâtir non viabilisé(prévoir assainissement individuel), idéal pour un beau projet de construction dans un cadre verdoyant. Pour visiter et vous accompagner dans votre projet, contactez vincent pogu, au 06 87 76 23 43 ou, par courriel à v.pogu@proprietes-privees.com. Selon l'article l. 561.5 du code monétaire et financier, pour l'organisation de la visite, la présentation d'une pièce d'identité vous sera demandée. Cette présente annonce a été rédigée sous la responsabilité éditoriale de vincent pogu agissant sous le statut d'agent commercial immatriculé au rsac nantes 912 304 441 auprès de sas proprietes privees, au capital de 44 920 euros, zac le chêne ferré - 44 allée des cinq continents 44120 vertou; siret 487 624 777 00040, rcs nantes. Carte professionnelle transactions sur immeubles et fonds de commerce (t) et gestion immobilière (g) n°cpi 4401 2016 000 010 388 délivrée par la cci nantes - saint nazaire. Compte séquestre n°309 32 50 84 67 bpa saint-sebastien-sur-loire (44230). Garantie galian-smabtp - 89 rue de la boétie, 75008 paris - n°28137 j pour 2 000 000 euros pour t et 120 000 euros pour g. Assurance responsabilité civile professionnelle par galian-smabtp n° de police 28137. J mandat réf : 430373- le professionnel garantit et sécurise votre projet immobilier. (5.21 % honoraires ttc à la charge de l'acquéreur.) vincent pogu (ei) agent commercial - numéro rsac : nantes 912 304 441 -.
Terrain constructible mouzillon, la barillière (44330). Dominique charron vous présente ce terrain de 1 139 m² en zone ub, situé au calme d'un village recherché. Au milieu du village, le terrain est non viabilisé, mais tous les réseaux sont disponibles à proximité y compris l'assainissement collectif. La surface entièrement constructible offre de belles possibilités pour un projet de maison individuelle ou pour l'implantation de 2 locatifs. Prix : 137 500 euros (honoraires inclus, 7 500 euros ttc à la charge de l'acquéreur, soit 130 000 euros hors honoraires). Le certificat d'urbanisme opérationnel est en cours d'obtention. Les informations sur les risques auxquels ce bien est exposé sont disponibles sur le site géorisques : n'hésitez pas à me demander la fiche commerciale. Pour visiter et vous accompagner dans votre projet, contactez dominique charron, agissant sous le statut d'agent commercial auprès de la sas proprietes privees, au 06 11 28 11 80 ou par courriel à d.charron@proprietes-privees.com, rsac 850401662 nantes. Mandat référence 434004. Le professionnel garantit et sécurise votre projet immobilier. Sas proprietes privees, 44 allée des cinq continents, zac le chêne ferré - bâtiment c, 44120 vertou, carte professionnel cpi 4401 2016 000 010 388 cci nantes-saint nazaire. (5.77 % honoraires ttc à la charge de l'acquéreur.) dominique charron (ei) agent commercial - numéro rsac : nantes 850401662 -.
Situé à Basse-Goulaine (44115), ce terrain constructible de 513 m² offre un cadre de vie paisible et accueillant. Nichée dans un environnement verdoyant, cette commune dynamique séduit par sa tranquillité, tout en étant à proximité de toutes les commodités essentielles telles que des commerces, écoles et transports en commun. De plus, Basse-Goulaine bénéficie d'un riche patrimoine naturel, offrant de belles balades près de la Loire et des vignobles alentours. D'une superficie de 513 m², ce terrain viabilisé et libre de constructeur est une opportunité rare pour concrétiser le projet de construction de vos rêves. Idéalement situé, il offre de multiples possibilités d'aménagement pour réaliser une résidence sur-mesure. Sa configuration avantageuse permet d'imaginer une habitation à l'agencement optimal, dans un cadre naturel préservé. Ne manquez pas l'occasion d'acquérir ce terrain offrant un cadre de vie idéal à Basse-Goulaine. Les informations sur les risques auxquels ce bien est exposé sont disponibles sur le site Géorisques : Prix de vente : 197 500 € Honoraires charge vendeur Contactez votre conseiller SAFTI : Dolino RANARIJAONA, Tél. : 07 68 19 66 03, E-mail : d.ranarijaona@safti.fr - EI - Agent commercial immatriculé au RSAC de NANTES sous le numéro 512782582.
Terrain situé dans un environnement très agréable, au calme, en lotissement, proche du centre ville, commerces et transports. Un site idéal pour imaginer votre maison sur-mesure Berthelot Constructions. Nous vous accompagnons de la conception à la réalisation sur un contrat clé en main. Nous serons vos interlocuteurs pour toutes vos démarches incluant votre dépôt de permis de construire. Terrain sélectionné et vu pour vous sous réserve de disponibilité et au prix indiqué par notre partenaire foncier. Les informations sur les risques auxquels ce bien est exposé sont disponibles sur le site Géorisques : .
Iad France - Sandra Redureau vous propose : Magnifique terrain plat de 700 m² en premier rideau avec piscine existante de 11x5 Façade de 35 ml Possibilité de maison à étage (sauf zone bleu hauteur maximum 3.50 m) Situé à proximité des commodités et des infrastructures locales, vous bénéficierez de tous les avantages de la vie en périphérie de Nantes tout en préservant un environnement verdoyant. Libre de constructeur Rare sur le secteur ! Prévoir viabilisation. Honoraires d'agence à la charge du vendeur. Bien non soumis au DPE. Les informations sur les risques auxquels ce bien est exposé, y compris l'obligation légale de débroussaillement, sont disponibles sur le site Géorisques : La présente annonce immobilière a été rédigée sous la responsabilité éditoriale de Mme Sandra Redureau mandataire indépendant en immobilier (sans détention de fonds), agent commercial de la SAS I@D France immatriculé au RSAC de NANTES sous le numéro 903108710, titulaire de la carte de démarchage immobilier pour le compte de la société I@D France SAS.
44190 gorges, dominique charron vous présente ce projet de construction sur un terrain constructible (libre de constructeurs) de 188 m² à viabiliser : exemple de plans de maison de type t4 (3 chambres) avec au rez de chaussée 1 très belle pièce de vie lumineuse (exposée sud-est) avec sa cuisine ouverte, une lingerie et des toilettes puis à l'étage 3 chambres, une salle d'eau et des toilettes. Attention ce terrain est grevé d'une servitude de passage de 4 mls de large. Cette parcelle vous est proposé au prix de 45000 euros, honoraires charge acquéreurs de 5000 euros ttc inclus, soit 40000 euros hors honoraires. Pour visiter et vous accompagner dans votre projet, contactez dominique charron, agissant sous le statut d'agent commercial auprès de la sas proprietes privees, au 06 11 28 11 80 ou par courriel à d.charron@proprietes-privees.com, rsac 850401662 nantes. Mandat référence 409860. Le professionnel garantit et sécurise votre projet immobilier. Sas proprietes privees, 44 allée des cinq continents, zac le chêne ferré - bâtiment c, 44120 vertou, carte professionnel cpi 4401 2016 000 010 388 cci nantes-saint nazaire. (12.50 % honoraires ttc à la charge de l'acquéreur.) dominique charron (ei) agent commercial - numéro rsac : nantes 850401662 -.
Situé sur le quartier de la fontaine à 4 minutes en vélo des commerces de proximité. Les transports en commun avec les lignes de bus 30, c9 et 162 sont à 500 m. Les écoles, collèges et lycées sont proches et facilement accessibles. Possibilité de réaliser une maison de plain pied d'environ 130 m². Le terrain est libre de constructeur et exposé plein sud. Il est non viabilisé en second rideau de la zone umd1 du plum. Le terrain est piscinable. Les informations sur les risques auxquels ce bien est exposé sont disponibles sur le site géorisques : prix de vente : 112 000 € honoraires charge vendeur contactez votre conseiller safti : etienne saffray, tél. : 07 86 82 08 90, e-mail : etienne.saffray@safti.fr - ei - agent commercial immatriculé au rsac de nantes sous le numéro 909 522 195.
Iad france - marine joannis vous propose : rare opportunité - la martellière terrain constructible au coeur de st-sébastien sur loire. Situé à 2 pas des commerces de st-sébastien, ce terrain de 254 m² exposé sud-est se trouve en second rideau (accès crée) et en zone umd1. Terrain plat. Déjà borné. Non viabilisé. Terrain libre de constructeur : concevez votre projet selon vos envies. Permis accordé (et toujours valable) aux normes rt 2012 pour une maison à étage de 113 m² avec 3 chambres. Possibilité de récupérer le permis pour les futurs acquéreurs. Proposition également disponible pour une maison à étage aux normes actuelles de 93 m², 3 chambres + garage. Idéalement situé à quelques minutes à pied des commerces, des transports (bus 27 & 28) et des écoles maternelles et primaire. Photos du terrain et détails du projet de construction disponibles sur demande. Honoraires d'agence à la charge du vendeur. Bien non soumis au dpe. Les informations sur les risques auxquels ce bien est exposé, y compris l'obligation légale de débroussaillement, sont disponibles sur le site géorisques : la présente annonce immobilière a été rédigée sous la responsabilité éditoriale de mme marine joannis mandataire indépendant en immobilier (sans détention de fonds), agent commercial de la sas i@d france immatriculé au rsac de nantes sous le numéro 892179755, titulaire de la carte de démarchage immobilier pour le compte de la société i@d france sas.
Iad france - jacky petiz vous propose : terrain à bâtir 1 131 m² dans le hameau de chez gatin - centre de les sorinières à 2,9 km terrain plat, avec de beaux chênes dans l'entrée, bien orienté, en secteur résidentiel calme, à la sortie des sorinières vers le bignon. À 2,9 km du centre des sorinières, 800 m de la zone d'activité de la forêt avec le set (loisir, padel, badmington, restauration. ) à 5km du périphérique sud de nantes, le car vers les écoles, collèges, lycées des sorinières, rezé, nantes. Le futur parcours de la piste cyclable dédiée entre le bignon et les sorinières passe en bordure de ce hameau. 1 131 m² pour la maison de vos rêves avec un jardin, en second rideau, terrain borné, à viabiliser, libre de constructeur - bâtisse cadastrée sur la parcelle. Honoraires d'agence à la charge du vendeur. Bien non soumis au dpe. Les informations sur les risques auxquels ce bien est exposé, y compris l'obligation légale de débroussaillement, sont disponibles sur le site géorisques : la présente annonce immobilière a été rédigée sous la responsabilité éditoriale de m jacky petiz mandataire indépendant en immobilier (sans détention de fonds), agent commercial de la sas i@d france immatriculé au rsac de nantes sous le numéro 519378731, titulaire de la carte de démarchage immobilier pour le compte de la société i@d france sas.
Iad france - jacky petiz vous propose : terrain à bâtir dans le hameau de chez gatin - centre de les sorinières à 2,9 km terrain plat, avec de beaux chênes dans l'entrée, bien orienté, en secteur résidentiel calme, à la sortie des sorinières vers le bignon. À 2,9 km du centre des sorinières, 800 m de la zone d'activité de la forêt avec le set (loisir, padel, badmington, restauration. ) à 5km du périphérique sud de nantes, le car vers les écoles, collèges, lycées des sorinières, rezé, nantes. Le futur parcours de la piste cyclable dédiée entre le bignon et les sorinières passe en bordure de ce hameau. 422 m² pour une maison a taille humaine avec un jardin facile d'entretien, terrain borné, à viabiliser, libre de constructeur. Honoraires d'agence à la charge du vendeur. Bien non soumis au dpe. Les informations sur les risques auxquels ce bien est exposé, y compris l'obligation légale de débroussaillement, sont disponibles sur le site géorisques : la présente annonce immobilière a été rédigée sous la responsabilité éditoriale de m jacky petiz mandataire indépendant en immobilier (sans détention de fonds), agent commercial de la sas i@d france immatriculé au rsac de nantes sous le numéro 519378731, titulaire de la carte de démarchage immobilier pour le compte de la société i@d france sas.
Contact direct avec l’AMÉNAGEUR / VENDEUR Une possibilité de dépôt de permis de construire immédiat. Vous recherchez un terrain pour construire votre maison à votre image et vous aimez faire de nouvelles rencontres et vous balader ? Ce lotissement est fait pour vous. Idéal pour la famille. Situé à Saint Aignan de Grandlieu. Nos terrains : • Viabilisés • Libres de constructeur • 390 à 969 m² Pour plus de renseignements, contactez-nous. Explorez les plans, découvrez les tarifs attractifs, et vérifiez la disponibilité en visitant notre site web cilaos. fr N’hésitez pas à nous contacter pour plus de renseignement et découvrir l’ensemble de nos terrains à bâtir !
Iad France - Jonathan Chenusson vous propose : Opportunité Rare ! Terrain à Bâtir de 470 m² à Les Sorinières, en plein cOEur du centre, Rue des Sports. Dans un environnement calme, en second rideau, libre de constructeur découvrez ce terrain à proximité immédiate des toutes les commodités des Sorinières (écoles, commerces et transports C4. Situé en Zone UMc du PLUM, laissez place à vos envies pour une maison de plain-pied, avec une exposition Sud-Ouest sur l'arrière. Dépendances existantes sur la parcelle pouvant être conservée ou démolie (de 13 m² et 30 m²). Non viabilisé. Le calme en ville, venez découvrir ce terrain à la situation géographique exceptionnelle. Honoraires d'agence à la charge du vendeur. Bien non soumis au DPE. Les informations sur les risques auxquels ce bien est exposé, y compris l'obligation légale de débroussaillement, sont disponibles sur le site Géorisques : La présente annonce immobilière a été rédigée sous la responsabilité éditoriale de M Jonathan Chenusson mandataire indépendant en immobilier (sans détention de fonds), agent commercial de la SAS I@D France immatriculé au RSAC de nantes sous le numéro 797 646 668, titulaire de la carte de démarchage immobilier pour le compte de la société I@D France SAS.

Construire plus vite, mieux et avec moins d’impact : tel est le pari de la construction modulaire. Entre…

Prix au m², taux de crédit, régions en hausse, villes en correction et impact du DPE : le baromètre…

En 2025, les aides à l’achat immobilier redeviennent un levier décisif. PTZ renforcé, APL Accession relancée,…