1 résultats
Situé sur la commune de Fagnières qui s’est tournée vers l’amélioration de son environnement, 231 logements ont été construits dans le but de préserver un cadre de vie idéal au bord d’une liaison douce paysagée. Des îlots de 12 bâtiments pour un total de 215 logements collectifs, 16 maisons individuelles jumelées au service d’un quotidien paisible ainsi qu’une maison de quartier, une maison de santé et un hôtel de bureaux. Ce projet prend vie en plein centre-ville dans un quartier qui a été laissé à l’abandon tout en proposant à nos habitants un cadre de vie de qualité. Une résidence collective moderne et connectée sera également construite et équipée des dernières innovations technologiques tant sur le plan des services que de la santé.
Autres annonces à proximité de Fagnières (51510) avec vos critères
Christelle prieur, vous propose appartement t2 vendu avec locataire en place en péricentre de châlons en champagne, proche grandes écoles. Dans secteur calme, en premier étage sans ascenseur, dans petite copropriété de 5 lots, découvrez un appartement rénové avec une pièce de vie principale de 18.34 m², une salle d'eau de 3.80 m², un toilette indépendant et une chambre en mezzanine. Vendu avec locataire en place. Loyer mensuel de 470 euros charges comprises. Dpe : g ges : g (chauffage fuel + électricité) montant estimé des dépenses annuelles d'énergie pour un usage standard entre 1030 et 1430 euros indexées aux années 2021,2022 et 2023 (ou 2021 uniquement) (si logement f ou g 'logement à consommation énergétique excessive : classe f ou g') investissez à châlons en champagne ! Pour visiter et vous accompagner dans votre projet, contactez christelle prieur, au 06 75 86 56 86 ou, par courriel à ch.prieur@proprietes-privees.com. Selon l'article l. 561.5 du code monétaire et financier, pour l'organisation de la visite, la présentation d'une pièce d'identité vous sera demandée. Cette présente annonce a été rédigée sous la responsabilité éditoriale de christelle prieur agissant sous le statut d'agent commercial immatriculé au rsac chalons en champagne 510854151 auprès de sas proprietes privees, au capital de 44 920 euros, zac le chêne ferré - 44 allée des cinq continents 44120 vertou; siret 487 624 777 00040, rcs nantes. Carte professionnelle transactions sur immeubles et fonds de commerce (t) et gestion immobilière (g) n°cpi 4401 2016 000 010 388 délivrée par la cci nantes - saint nazaire. Compte séquestre n°309 32 50 84 67 bpa saint-sebastien-sur-loire (44230). Garantie galian-smabtp - 89 rue de la boétie, 75008 paris - n°28137 j pour 2 000 000 euros pour t et 120 000 euros pour g. Assurance responsabilité civile professionnelle par galian-smabtp n° de police 28137. J mandat réf : 427395 - le professionnel garantit et sécurise votre projet immobilier. Copropriété de 5 lots - dont 4 lots habitation. (). Charges annuelles : 1130 euros. Christelle prieur (ei) agent commercial - numéro rsac : chalons en champagne 510854151 -. Les informations sur les risques auxquels ce bien est exposé sont disponibles sur le site géorisques : www. Georisques. Gouv. Fr.
Exclusivité Damonte Immobilier Châlons-en-Champagne A découvrir : appartement de type 2 situé rive droite, d'une superficie de 38 m² vendu avec de nombreux espaces de stockage, idéal primo-accédant ou investisseur Ce bien est composé ainsi : - Séjour - Cuisine équipée - Grande chambre - Salle d'eau - WC Les plus : - Vendu avec cave, remise, cellier, garage, grenier - Vous pourrez profiter de la cour commune - Copropriété à faibles charges : 701,36 par an (dont 32,00 EUR de fonds de travaux inclus dans ce montant) Cette annonce vise cinq lots situés dans une copropriété de 32 lots dont 6 sont à usage d'habitation. Taxe foncière 2025 : 630,00 EUR Prix de vente : 55 000 EUR, honoraires d'agence inclus à la charge du vendeur Diagnostic de performance énergétique réalisé le 13 / 10 / 2025 : classe F - logement à consommation énergétique excessive. Ce bien vous est proposé par Léna ZOUAOUI, mandataire indépendant en immobilier, immatriculée au RSAC de Châlons-en-Champagne sous le numéro 939378659, agissant pour le compte de la société Damonte Immobilier, titulaire de la carte professionnelle. Les informations sur les risques auxquels ce bien est exposé sont disponibles sur le site Géorisques : .
Damonte immobilier Vous propose ce charmant appartement de type 2 situé au premier étage d'une résidence calme et sécurisée. Il se compose d'un séjour lumineux ouvrant sur un balcon, d'une cuisine ouverte sur le salon, d'une chambre confortable, d'une salle de bain et de WC séparés. Le chauffage est individuel électrique pour un confort optimal. Un atout supplémentaire : - une grande place de voiture intérieur est incluse, idéale pour stationner 2 véhicules en enfilade. Cet appartement fonctionnel saura vous séduire par sa luminosité et ses prestations. À visiter sans tarder ! Charges de copropriété : 1000 euros Nombre de lots principaux : 30 DPE : C Honoraires vendeur 10% Pour le visiter ou pour plus d'informations, contactez moi au 06 46 30 73 35. Les informations auxquels ce bien est exposé sont disponibles sur le site : . Les informations sur les risques auxquels ce bien est exposé sont disponibles sur le site Géorisques : .

Recevez en temps réel les dernières annonces correspondant à votre recherche
Envie d'invetir à chalons en champagne ? Venir découvrir cet appartement sis dans une résidence sécurisée à 5 min de la collègiale. Il se compose d'une entrée, d'une pièce à vivre d'une cuisine indépendante, d'une chambre, d'une buanderie et d'une salle d'eau avec wc. Actuellement loué 490 euros hc, il représente un investissement rentable. Un rafraîchissement est à prévoir dès le départ du locataire. Dpe : f (logement à consommation excessive) copropriété de 23 lots charges de copropriété : 656 euros chauffage individuel électrique honoraires vendeur 10% interessé ? Téléphonez moi vite au 06 46 30 73 35. Les informations auxquels ce bien est exposé dont disponible sur le site : .
Venez découvrir ce bel appartement de 65 m², proche du centre ville, situé au 1er étage d'une petite copropriété sécurisée. Il se compose d'une entrée, d'un séjour, d'une grande chambre, d'une cuisine d'une salle d'eau et d'une belle terrasse. Actuellement loué à 530 euros par mois hors charges. Les points forts de cet appartement : Nombreux placards Terrasse Proche des commerces, bars et restaurants 10 min des complexes sportifs, piscines. 10 min des grands axes routiers proche des écoles La façade de l'immeuble a été ravalée en mars 2024. Chauffage à gaz. DPE : C Honoraires agence charge acquéreur : 8% (prix mentionné est le prix honoraires inclus). Charges de copropriété : 600 euros environ Envie d'en savoir plus ? envie de le visiter ? Appelez moi vite au 06 46 30 73 35. Les informations sur les risques auxquels ce bien est exposé sont disponible sue le site Géorisques : wwwgeorisques. gouv. fr.
Iad France - Anthony Pihet vous propose : Appartement deux pièces disposant d'un terrain et d'une cave privatifs. Excellente opportunité d'investissement pour ce bien, vendu loué situé à Châlons-en-Champagne, proche de toutes commodités secteur gare. Doté d'une surface d'environ 46 m², l'espace de vie se compose d'une pièce principale de 20 m², une cuisine séparée, une chambre avec placard, une salle de bain avec toilettes. Situé au Rez de Chaussée d'un petit immeuble, l'appartement bénéficie d'un terrain privatif d'environ 40 m², une belle luminosité tout au long de la journée. De plus, sa proximité avec les commerces, la gare et les transports en commun en fait un lieu de vie pratique. Avec quelques travaux de rafraichissement, cet appartement pourra être mis à votre image. Contactez-moi sans tarder pour programmer une visite. La presente annonce immobiliere vise 3 lots situés dans une copropriété de 5 lots au total et ne faisant l'objet d'aucune procédure en cours citée à l'article L. 721-1 du code de la construction et de l'habitation. Montant moyen mensuel de charges déclaré par le vendeur : 100€ par mois (soit 1200 € annuel). Honoraires d'agence à la charge du vendeur. Information d'affichage énergétique sur ce bien : classe ENERGIE E indice 292 et classe CLIMAT E indice 63. Les informations sur les risques auxquels ce bien est exposé, y compris l'obligation légale de débroussaillement, sont disponibles sur le site Géorisques : La présente annonce immobilière a été rédigée sous la responsabilité éditoriale de M Anthony Pihet mandataire indépendant en immobilier (sans détention de fonds), agent commercial de la SAS I@D France immatriculé au RSAC de Chalons en Champagne sous le numéro 942063645, titulaire de la carte de démarchage immobilier pour le compte de la société I@D France SAS.
Iad France - Bastien LECHENE vous propose : Situé à proximité du centre ville et à 5 min à pied de la gare, au 1er étage d'une petite copropriété composée de deux lots, venez découvrir cet appartement de 47 m². Il se compose d'une entrée indépendante desservant l'appartement à l'étage avec une cuisine ouverte sur la pièce de vie et l'accès au balcon de 7 m², une chambre et une grande salle de bain. Le bien est actuellement loué et le local comercial du rdc loué également est aussi à vendre donc vous avez la possibilité d'acquérir l'immeuble complet, pour plus d'informations veuillez me contacter. La presente annonce immobiliere vise 1 lot situé dans une copropriété de 3 lots au total et ne faisant l'objet d'aucune procédure en cours citée à l'article L. 721-1 du code de la construction et de l'habitation. Montant moyen mensuel de charges déclaré par le vendeur : 20€ par mois (soit 240 € annuel). Honoraires d'agence à la charge du vendeur. Information d'affichage énergétique sur ce bien : classe ENERGIE G indice 484 et classe CLIMAT F indice 89. Les informations sur les risques auxquels ce bien est exposé, y compris l'obligation légale de débroussaillement, sont disponibles sur le site Géorisques : La présente annonce immobilière a été rédigée sous la responsabilité éditoriale de M Bastien LECHENE mandataire indépendant en immobilier (sans détention de fonds), agent commercial de la SAS I@D France immatriculé au RSAC de chalons en champagne sous le numéro 797869039, titulaire de la carte de démarchage immobilier pour le compte de la société I@D France SAS.
Iad France - Anthony Pihet vous propose : Appartement de type 2 situé proche du centre ville de Châlons-en-Champagne. Au rez de chaussée d'une résidence calme et sécurisée, l''espace de vie se compose d'une entrée, d'une chambre avec placard, d'une salle de bain moderne, de toilettes séparées, d'une cuisine ouverte équipée donnant sur le séjour. Profitez également d'un agréable balcon offrant un espace extérieur. Cet appartement vous assure un véritable cocon où il fait bon vivre au quotidien dans cette résidence sécurisée avec un portail électrique et un stationnement pratique avec une place de parking privative. En termes de commodités, vous apprécierez la proximité des commerces, des écoles et des transports en commun. Ne nécessitant aucun travaux, cet appartement est idéal pour un premier achat ou un investissement locatif. Ne manquez pas l'opportunité de visiter rapidement ce bien, contactez-moi dès maintenant pour organiser une visite et laissez-vous séduire par ce bien de qualité ! La presente annonce immobiliere vise 2 lots situés dans une copropriété de 42 lots au total et ne faisant l'objet d'aucune procédure en cours citée à l'article L. 721-1 du code de la construction et de l'habitation. Montant moyen mensuel de charges déclaré par le vendeur : 61.33€ par mois (soit 736 € annuel). Honoraires d'agence à la charge du vendeur. Information d'affichage énergétique sur ce bien : classe ENERGIE D indice 249 et classe CLIMAT B indice 7. Les informations sur les risques auxquels ce bien est exposé, y compris l'obligation légale de débroussaillement, sont disponibles sur le site Géorisques : La présente annonce immobilière a été rédigée sous la responsabilité éditoriale de M Anthony Pihet mandataire indépendant en immobilier (sans détention de fonds), agent commercial de la SAS I@D France immatriculé au RSAC de Chalons en Champagne sous le numéro 942063645, titulaire de la carte de démarchage immobilier pour le compte de la société I@D France SAS.
Iad France - Gianni Mirabile vous propose : Appartement de Caractère au COEur de Châlons-en-Champagne. Découvrez ce charmant appartement situé au 2ème et dernier étage d'un immeuble datant de 1850. Ce bien atypique saura séduire les amateurs d'authenticité et de cachet. Un avantage en hyper centre et pas des moindres, cet appartement est vendu avec sa place de parking privative. D'une surface de 50 m² environ, il offre un espace de vie unique, composé d'une entrée avec placard, d’une pièce principale lumineuse avec cuisine ouverte, une salle de bain, une chambre, un wc et un cellier. Côté équipements, vous pourrez profiter du confort moderne avec la fibre optique, la télévision par câble et le chauffage individuel électrique par radiateurs. L’eau est comprise dans les charges de copropriété. L'emplacement de cet appartement est un véritable atout, à proximité immédiate des commerces, des transports en commun et des commodités du centre-ville. Vous pourrez ainsi profiter pleinement de la vie urbaine tout en résidant dans un cadre historique, au calme et plein de charme. Aucun travaux n'est à prévoir, cet appartement est en bon état général et n'attend que votre touche personnelle pour devenir un véritable bijou au cOEur de Châlons-en-Champagne. Rare sur le marché, ne manquez pas cette opportunité unique d'acquérir un bien d'exception chargé d'histoire et de potentiel. Contactez-nous dès aujourd'hui pour organiser une visite et laissez-vous séduire par le charme de cet appartement authentique. La presente annonce immobiliere vise 2 lots situés dans une copropriété de 12 lots au total et ne faisant l'objet d'aucune procédure en cours citée à l'article L. 721-1 du code de la construction et de l'habitation. Montant moyen mensuel de charges déclaré par le vendeur : 20€ par mois (soit 240 € annuel). Honoraires d'agence à la charge du vendeur. Information d'affichage énergétique sur ce bien : classe ENERGIE E indice 315 et classe CLIMAT B indice 10. Les informations sur les risques auxquels ce bien est exposé, y compris l'obligation légale de débroussaillement, sont disponibles sur le site Géorisques : La présente annonce immobilière a été rédigée sous la responsabilité éditoriale de M Gianni Mirabile mandataire indépendant en immobilier (sans détention de fonds), agent commercial de la SAS I@D France immatriculé au RSAC de Chalons en champagne sous le numéro 791 377 849, titulaire de la carte de démarchage immobilier pour le compte de la société I@D France SAS.
Iad france - arthur pype vous propose : opportunité d’investissement en centre-ville de châlons-en-champagne découvrez cet appartement meublé situé dans une petite copropriété calme et parfaitement entretenue. Il se compose d’une entrée desservant une pièce de vie agréable avec coin cuisine, d’une chambre séparée et d’une salle d’eau. Le chauffage est assuré par une chaudière gaz récente. Le bien est actuellement loué 480 € charges comprises, avec aucun incident de paiement depuis le début de la location. La locataire bénéficie en plus d’un garant et d’une garantie visale, ce qui assure une sécurité locative maximale et une tranquillité d’esprit pour le propriétaire. Une visite s’impose : ce type d’opportunité se fait rare ! Honoraires d'agence à la charge du vendeur. Information d'affichage énergétique sur ce bien : classe energie d indice 234 et classe climat d indice 45. Les informations sur les risques auxquels ce bien est exposé, y compris l'obligation légale de débroussaillement, sont disponibles sur le site géorisques : la présente annonce immobilière a été rédigée sous la responsabilité éditoriale de m arthur pype mandataire indépendant en immobilier (sans détention de fonds), agent commercial de la sas i@d france immatriculé au rsac de chalons en champagne sous le numéro 913835013, titulaire de la carte de démarchage immobilier pour le compte de la société i@d france sas.
Damonte Immobilier vous propose de découvrir un appartement de type 2, composé de : une entrée avec placard, une chambre, un séjour, une salle d'eau, une cuisine équipée, un cellier et d'une cave. Actuellement loué meublé 437,81 EUR hors charges, ce bien offre une rentabilité immédiate. À propos de la résidence : Située dans une impasse, à l'écart de la route principale, elle offre un cadre agréable avec des espaces verts soigneusement entretenus au pied de l'immeuble. Caractéristiques complémentaires : Chauffage collectif avec répartiteur, permettant une facturation selon la consommation réelle de chaque logement Copropriété de 141 lots, dont 96 à usage d'habitation (3 bâtiments, garages et caves) Montant des charges : 1 586,41 EUR par an dont 1 312,72 EUR récupérables. Taxe foncière 2025 : 717,00 EUR DPE : E (Logement à consommation énergétique excessive) Les informations sur les risques auxquels ce bien est exposé sont disponibles sur le site .
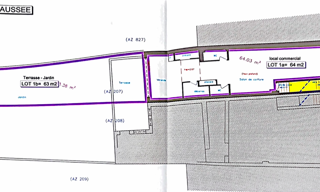
Iad France - Bastien LECHENE vous propose : Local commercial en rdc avec terrasse et jardin, aménagé en salon de coiffure, les murs sont vendus avec le locataire en place depuis de nombreuses années. Petite copropriété, faibles charges. La presente annonce immobiliere vise 2 lots situés dans une copropriété de 3 lots au total et ne faisant l'objet d'aucune procédure en cours citée à l'article L. 721-1 du code de la construction et de l'habitation. Montant moyen mensuel de charges déclaré par le vendeur : 30€ par mois (soit 360 € annuel). Honoraires d'agence à la charge du vendeur. Bien non soumis au DPE. Les informations sur les risques auxquels ce bien est exposé, y compris l'obligation légale de débroussaillement, sont disponibles sur le site Géorisques : La présente annonce immobilière a été rédigée sous la responsabilité éditoriale de M Bastien LECHENE mandataire indépendant en immobilier (sans détention de fonds), agent commercial de la SAS I@D France immatriculé au RSAC de chalons en champagne sous le numéro 797869039, titulaire de la carte de démarchage immobilier pour le compte de la société I@D France SAS.
Iad france - céline rautureau vous propose : magnifique duplex rénové à châlons-en-champagne - idéal pour une première acquisition ou un investissement locatif. Rénové avec goût, ce bien dispose de 2 pièces dont une chambre, idéal pour un jeune couple, une personne seule ou un investisseur en quête d'un bien locatif de qualité. Au premier niveau, vous découvrirez un espace de vie lumineux comprenant un séjour chaleureux de plus de 25 m² et son coin cuisine ainsi qu'une jolie salle de douche. La belle surface de la pièce principale offre de nombreuses possibilités d'aménagement pour créer un espace convivial et accueillant. Vous apprécierez également la facilité de stationnement, la proximité des commodités (commerces, écoles, transports), ainsi que l’absence de charges de copropriété grâce à une division en volumes, un véritable atout qui vous assure une gestion autonome et une maîtrise totale de vos dépenses. Cet appartement ravissant ne nécessite aucun travaux, vous offrant ainsi la possibilité de vous y installer rapidement et de profiter pleinement de votre nouveau chez-vous. Ne ratez pas l'occasion de visiter ce duplex dès que possible ! Honoraires d'agence à la charge du vendeur. Information d'affichage énergétique sur ce bien : classe energie e indice 276 et classe climat b indice 8. Les informations sur les risques auxquels ce bien est exposé, y compris l'obligation légale de débroussaillement, sont disponibles sur le site géorisques : la présente annonce immobilière a été rédigée sous la responsabilité éditoriale de mme céline rautureau mandataire indépendant en immobilier (sans détention de fonds), agent commercial de la sas i@d france immatriculé au rsac de chalon en champagne sous le numéro 839736121, titulaire de la carte de démarchage immobilier pour le compte de la société i@d france sas.
Iad France - Nathalie Merat vous propose : Bienvenue au centre de Châlons-en-Champagne, découvrez cet appartement de charme situé au 4ème étage d'une résidence calme et sécurisée, avec un balcon offrant une vue dégagée sur les environs. Cet appartement de type 2, d'une surface de 53 m², se compose d'une chambre, d'une salle de bain, d'une cuisine fonctionnelle, et d'un séjour spacieux et lumineux. Vous pourrez profiter de moments de détente sur le balcon, idéal pour savourer un café en admirant le paysage. Construit en 1976, cet appartement offre un cachet authentique. Vous bénéficierez d'un confort optimal grâce à l'ascenseur accessible, au digicode, à l'interphone et à son système de chauffage ceollectif au gaz. Situé à proximité des commodités et des transports en commun, vous pourrez accéder facilement aux commerces, écoles, parcs et autres services essentiels. Un emplacement idéal pour profiter pleinement de la vie urbaine tout en résidant dans un environnement paisible. La résidence dispose également d'une cave pour un espace de rangement supplémentaire. Des travaux de décoration sont à prévoir pour personnaliser ce bien à votre goût. Ne manquez pas l'occasion de visiter cet appartement plein de potentiel à Châlons-en-Champagne. Contactez-moi dès maintenant pour organiser une visite et laissez-vous séduire par son charme et son emplacement privilégié. La presente annonce immobiliere vise 2 lots situés dans une copropriété de 2 lots au total et ne faisant l'objet d'aucune procédure en cours citée à l'article L. 721-1 du code de la construction et de l'habitation. Montant moyen mensuel de charges déclaré par le vendeur : 161€ par mois (soit 1932 € annuel). Honoraires d'agence à la charge du vendeur. Information d'affichage énergétique sur ce bien : classe ENERGIE D indice 231 et classe CLIMAT D indice 49. Les informations sur les risques auxquels ce bien est exposé, y compris l'obligation légale de débroussaillement, sont disponibles sur le site Géorisques : La présente annonce immobilière a été rédigée sous la responsabilité éditoriale de Mme Nathalie Merat mandataire indépendant en immobilier (sans détention de fonds), agent commercial de la SAS I@D France immatriculé au RSAC de chalons en champagne sous le numéro 514947134, titulaire de la carte de démarchage immobilier pour le compte de la société I@D France SAS.
Iad france - céline rautureau vous propose : appartement vendu loué – belle rentabilité locative idéal investisseur ! Dans un bel immeuble de caractère, en petite copropriété avec de faibles charges, découvrez cet appartement vendu loué offrant une excellente rentabilité locative. Emplacement recherché : à deux pas du centre-ville et de toutes les commodités. Appartement en bon état, sans gros travaux à prévoir. Bail en cours, locataire sérieux. Classe énergétique : l’appartement est actuellement mal classé, mais les travaux d’amélioration des performances énergétiques restent accessibles et peu contraignants. Une belle opportunité d’optimiser votre investissement rapidement. Les atouts : bonne rentabilité immédiate petite copropriété bien entretenue faibles charges potentiel de valorisation à moyen terme un investissement sûr, avec une belle visibilité à long terme. Honoraires d'agence à la charge du vendeur. Information d'affichage énergétique sur ce bien : classe energie g indice 509 et classe climat c indice 16. Les informations sur les risques auxquels ce bien est exposé, y compris l'obligation légale de débroussaillement, sont disponibles sur le site géorisques : la présente annonce immobilière a été rédigée sous la responsabilité éditoriale de mme céline rautureau mandataire indépendant en immobilier (sans détention de fonds), agent commercial de la sas i@d france immatriculé au rsac de chalon en champagne sous le numéro 839736121, titulaire de la carte de démarchage immobilier pour le compte de la société i@d france sas.
(idéal investissement ou résidence principale) découvrez cet appartement de 2 pièces d'environ 40 m² situé à châlons-en-champagne (51000) proche des écoles et commodités. Il se situe au 1er étage dans une résidence bien entretenu avec jardin commun. L'appartement inclut une cuisine fermée avec cellier, un espace salon / séjour lumineux, un couloir avec placard, une salle de douche, un wc individuel et une chambre. Une cave est vendue avec l'appartement, puis, pour votre véhicule la résidence bénéficie de plusieurs places de stationnement commun. Charge de copropriété comprenant chauffage et eau : 150eur / mois tf : 705 eur appartement vendu libre d'occupation, alors n'hésitez pas à me contacter au plus vite. Une visite virtuelle est à votre disposition sur demande, après signature du bon de visite. Cette annonce vous est proposée par immobiliere de la republique - sarl - norsac : 912 459 583, enregistré à de les informations sur les risques auxquels ce bien est exposé sont disponibles sur le site géorisques : les informations sur les risques auxquels ce bien est exposé sont disponibles sur le site géorisques : - annonce rédigée et publiée par un agent mandataire.
Chalons en champagne appartement atypique en hyper centre venez découvrir cet appartement de 59 m² au sol et 38 m² carrez situé au dernier étage d'une petite copropriété ! Celui-ci vous offrira un salon-séjour, une cuisine ouverte aménagée et équipée, une lingerie, une chambre avec une salle d'eau attenante et un wc séparé. Une mezzanine mansardée faisant office de deuxième chambre d'appoint ou de zone de stockage, est présente à l'étage ! Actuellement loué à 505 euros + 50 euros de charges infos pratiques : - 1 minute à pied des transports en commun - copropriété calme à faible charges - double vitrage et volets roulants - a deux pas de toutes les commodités - chauffage électrique individuel si vous aimez le charme de l'ancien avec ses poutres apparentes, la proximité avec les commodités, contactez-nous au 06 46 30 73 35 ! L'agence damonte immobilier est à votre disposition, appelez au 06 46 30 73 35. Dpe : classe e honoraires à la charge du vendeur (10%) pas de procédure en cours nombre de lots : 5 charges prévisionnelles annuelles : 738 eur les informations sur les risques auxquels ce bien est exposé sont disponibles sur le site géorisques : .
Iad france - céline rautureau vous propose : appartement de charme t2 – proche centre-ville à découvrir sans tarder, ce superbe appartement de type 2 allie cachet et confort. Vous serez séduit par ses jolis parquets, sa belle hauteur sous plafond, sa cheminée d'ornement et son atmosphère chaleureuse. Situé à proximité immédiate du centre-ville, il bénéficie d’un emplacement recherché, à deux pas des commerces, services et transports. Aucun gros travaux n’est à prévoir : l’appartement est vendu meublé et prêt à vivre. Côté performance, vous apprécierez sa bonne classification énergétique, gage d’économie et de sérénité. Que vous soyez investisseur, à la recherche d’une bonne rentabilité locative, ou futur occupant en quête d’un bien alliant charme et praticité, cet appartement dans un immeuble de caractère est une belle opportunité. Une visite s’impose rapidement ! Honoraires d'agence à la charge du vendeur. Information d'affichage énergétique sur ce bien : classe energie d indice 217 et classe climat b indice 6. Les informations sur les risques auxquels ce bien est exposé, y compris l'obligation légale de débroussaillement, sont disponibles sur le site géorisques : la présente annonce immobilière a été rédigée sous la responsabilité éditoriale de mme céline rautureau mandataire indépendant en immobilier (sans détention de fonds), agent commercial de la sas i@d france immatriculé au rsac de chalon en champagne sous le numéro 839736121, titulaire de la carte de démarchage immobilier pour le compte de la société i@d france sas.
Iad France - Emmanuel Clement vous propose : Situé en centre-ville, cet appartement meublé représente une belle opportunité pour un investissement locatif. Sa localisation permet de répondre facilement à la demande d’une personne seule ou d’un couple recherchant un logement pratique et bien placé. Le bien comprend : - une pièce de vie lumineuse avec coin cuisine aménagée et équipée, - une chambre en mezzanine, - une salle d’eau, - des toilettes séparées. L’appartement est en bon état. Bien que classé en DPE F, des améliorations simples permettent d’envisager un passage en E ou D. Le confort est assuré par des fenêtres PVC double vitrage, un ballon d’eau chaude récent (2022) et des radiateurs électriques. L’ensemble du mobilier est inclus, permettant une mise en location immédiate. Anciennement loué 355 € + 15 € de charges, le bien bénéficie de faibles charges de copropriété, garantissant une rentabilité attractive. Une visite vous confirmera le potentiel de cet investissement. Contactez-moi dès maintenant pour organiser un rendez-vous. La presente annonce immobiliere vise 1 lot situé dans une copropriété de 8 lots au total et ne faisant l'objet d'aucune procédure en cours citée à l'article L. 721-1 du code de la construction et de l'habitation. Montant moyen mensuel de charges déclaré par le vendeur : 26.83€ par mois (soit 321.9 € annuel). Honoraires d'agence à la charge du vendeur. Information d'affichage énergétique sur ce bien : classe ENERGIE F indice 408 et classe CLIMAT C indice 13. Les informations sur les risques auxquels ce bien est exposé, y compris l'obligation légale de débroussaillement, sont disponibles sur le site Géorisques : La présente annonce immobilière a été rédigée sous la responsabilité éditoriale de M Emmanuel Clement mandataire indépendant en immobilier (sans détention de fonds), agent commercial de la SAS I@D France immatriculé au RSAC de CHALONS EN CHAMPAGNE sous le numéro 512341488, titulaire de la carte de démarchage immobilier pour le compte de la société I@D France SAS.
Iad France - Roxane Boutin vous propose : Situé non loin du centre-ville à pieds de Châlons en champagne, dans un secteur calme proche des écoles et commerces de proximité, découvrez cet appartement aux beaux volumes situé au rez-de-chaussée d’une petite copropriété de 6 appartements. Poussez la porte de celui-ci, vous entrerez dans cette pièce de vie lumineuse, agrémentée de son espace cuisine aménagée et équipée, le tout en très bon état. La salle de douche assez spacieuse dispose quant à elle de toilettes ainsi que d’un emplacement pour machine à laver. Enfin, vous retrouverez une grande chambre avec son espace dressing. À noter que des travaux de rénovation seront à prévoir afin d’améliorer la qualité de cet appartement qui est idéal si vous avez un projet d’investissement locatif ou bien si vous souhaitez y faire votre résidence principale. La taxe foncière s’élève à 558€ et les charges de copropriété à 71€ par mois. Contactez-moi pour une visite si celui-ci vous intéresse. La presente annonce immobiliere vise 1 lot situé dans une copropriété de 10 lots au total et ne faisant l'objet d'aucune procédure en cours citée à l'article L. 721-1 du code de la construction et de l'habitation. Montant moyen mensuel de charges déclaré par le vendeur : 71.67€ par mois (soit 860 € annuel). Honoraires d'agence à la charge du vendeur. Information d'affichage énergétique sur ce bien : classe ENERGIE G indice 429 et classe CLIMAT C indice 14. Les informations sur les risques auxquels ce bien est exposé, y compris l'obligation légale de débroussaillement, sont disponibles sur le site Géorisques : La présente annonce immobilière a été rédigée sous la responsabilité éditoriale de Mme Roxane Boutin mandataire indépendant en immobilier (sans détention de fonds), agent commercial de la SAS I@D France immatriculé au RSAC de REIMS sous le numéro 884052309, titulaire de la carte de démarchage immobilier pour le compte de la société I@D France SAS.