Logo LSI sombre

Retour
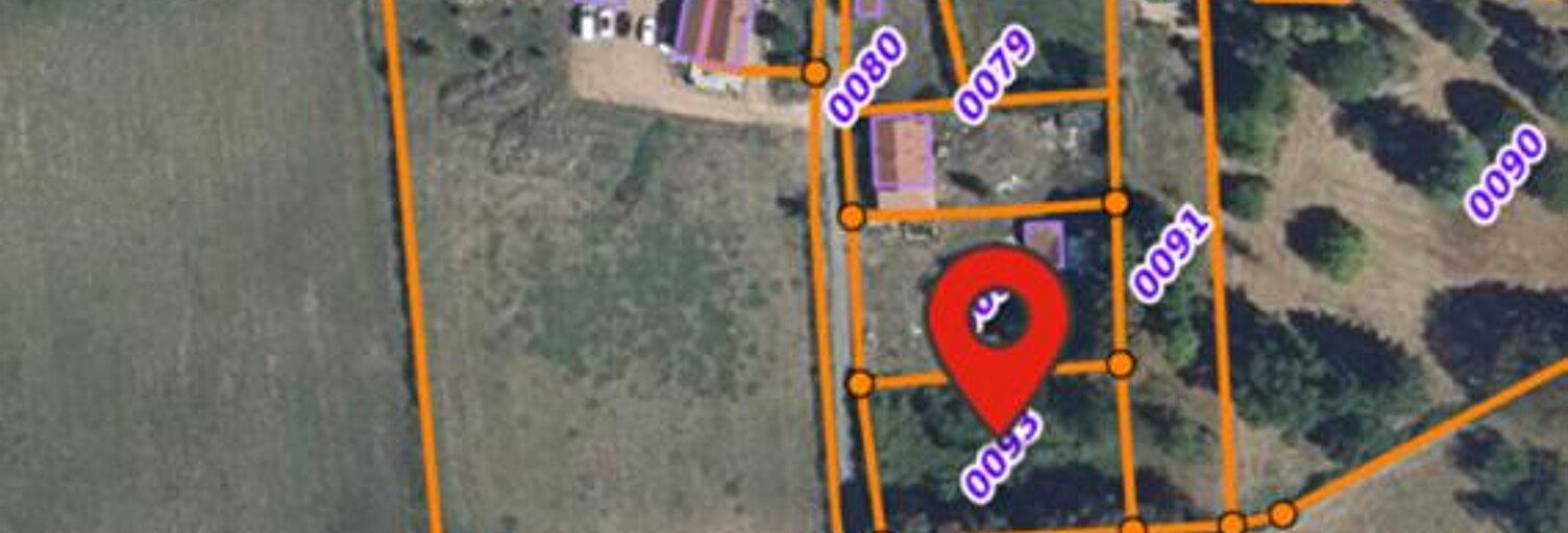
Terrain  1000 m² à vendre à Rouy (58110)
1

Vente terrain 1000 m² Rouy (58110)

15 000 €

Terrain constructible à ROUY

Venez découvrir ce joli terrain constructible de 1000 m² situé dans la commune de rouy, dans un secteur vert et calme, à 30 minutes de nevers et château chinon. Situé en zone u et entièrement borné, à l'entrée du parc régional naturel du morvan, ce beau terrain dispose d'une vue dégagée et des réseaux en limite propriété. Idéal pour les personnes qui cherchent du calme et la nature non loin des commodités à un petit prix. N'hésitez pas à me contacter afin de planifier une visite ! Prix : 15000 euros honoraires charge vendeur pour visiter et vous accompagner dans votre projet, contactez jerome grobarcik, au 06 25 43 41 10 ou, par courriel à j.grobarcik@proprietes-privees.com. Selon l'article l. 561.5 du code monétaire et financier, pour l'organisation de la visite, la présentation d'une pièce d'identité vous sera demandée. Cette présente annonce a été rédigée sous la responsabilité éditoriale de jerome grobarcik agissant sous le statut d'agent commercial immatriculé au rsac nevers 904548880 auprès de sas proprietes privees, au capital de 44 920 euros, zac le chêne ferré - 44 allée des cinq continents 44120 vertou; siret 487 624 777 00040, rcs nantes. Carte professionnelle transactions sur immeubles et fonds de commerce (t) et gestion immobilière (g) n°cpi 4401 2016 000 010 388 délivrée par la cci nantes - saint nazaire. Compte séquestre n°309 32 50 84 67 bpa saint-sebastien-sur-loire (44230). Garantie galian-smabtp - 89 rue de la boétie, 75008 paris - n°28137 j pour 2 000 000 euros pour t et 120 000 euros pour g. Assurance responsabilité civile professionnelle par galian-smabtp n° de police 28137. J mandat réf : 422386 - le professionnel garantit et sécurise votre projet immobilier. Jerome grobarcik (ei) agent commercial - numéro rsac : nevers 904548880 -. Les informations sur les risques auxquels ce bien est exposé sont disponibles sur le site géorisques : www. Georisques. Gouv. Fr.

Caractéristiques

Les plus de cette annonce
  • Meublé
  • Jardin
  • Calme
  • Vue dégagée

A propos du prix de ce terrain

  • Prix : 15 000 € (soit 15 € / m²)
  • Honoraires à charge vendeur

À propos de cette annonce

Mise en ligne:

Dernière mise à jour:

Référence de l'annonce: 422386JGRO

Propriétés Privées agence immobilière à Basse-Goulaine (44115)
Propriétés Privées
Afficher le numéro

À voir pour le même budget

Terrain  14000 €
14 000 €

Terrain 1354 m²

Saint-Saulge (58330)