Logo LSI sombre

Terrain  1200 m² à vendre à Saint-Jean-d'Aulps (74430)
Photo N° 2
Photo N° 3
Photo N° 4
4

Vente terrain 1200 m² Saint-Jean-d'Aulps (74430)

250 000 €

Terrain Constructible Saint Jean D Aulps

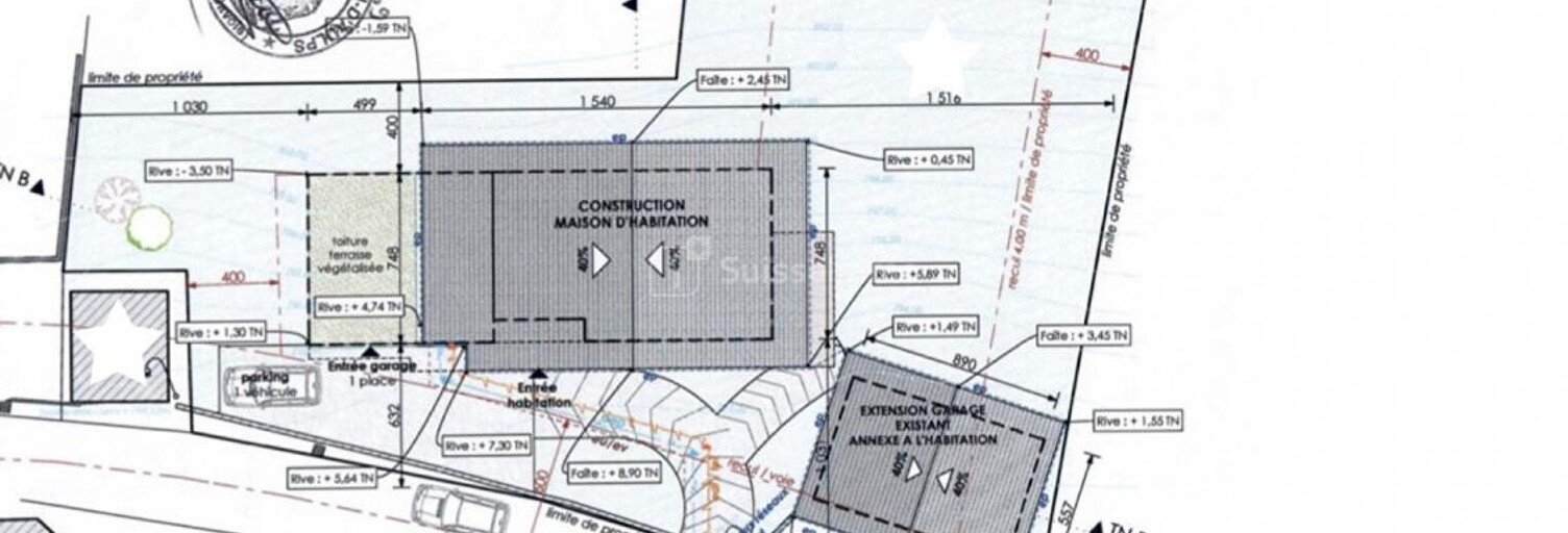
Bcm868lb : sur la commune très prisée de saint-jean, découvrez ce beau terrain de 1200 m², dont environ 800 m² sont constructibles. Points forts : -terrain bien exposé, idéal pour une construction lumineuse -libre de constructeur : réalisez votre projet avec les professionnels de votre choix -raccordement à l'eau en bordure -environnement calme et résidentiel, tout en étant proche des commodités que vous souhaitiez y bâtir votre résidence principale, secondaire, ou investir, ce terrain offre un cadre de vie paisible et de belles possibilités d'aménagement. Loïc breton (ei) agent commercial - numéro rsac : 878 389 576 - thonon les bains.

Caractéristiques

Les plus de cette annonce
  • Jardin
  • Calme

A propos du prix de ce terrain

  • Prix : 250 000 € (soit 208 € / m²)
  • Honoraires à charge vendeur

À propos de cette annonce

Mise en ligne:

Dernière mise à jour:

Référence de l'annonce: 868LB-SUI
Suisse Immo France
Afficher le numéro

À voir pour le même budget

Terrain  249000 €
249 000 €

Terrain 913 m²

Saint-Jean-d'Aulps (74430)

Nicolas vous invite à venir découvrir ce magnifique terrain situé sur les hauteurs de la charmante commune de saint jean d'aulps dans le hameau les onchets. Le calme et la vue sur les montagnes environnantes ne vous laissera pas indifférents. Sa superficie de 913 m² vous laissera l'opportunité de placer votre maison de manière optimum. Situé dans la zone uh du plui-h, vous pourrez construire votre havre de paix en respectant les règles de ce zonage. Vous devrez rester dans l'esprit bois de type chalet afin de s'harmoniser avec les constructions déjà existantes. Toutes les viabilités se trouvent en bordure de parcelle. Les travaux de raccordement au tout à l'égout sont en train de se réaliser sur la chaussée. Je reste disponible si vous souhaiter avoir plus de renseignements sur cette parcelle. À très vite au téléphone ;) les informations sur les risques auxquels ce bien est exposé, sont disponibles sur le site géorisques : georisques. Gouv. Fr les honoraires sont à la charge du vendeur. Les informations sur les risques auxquels ce bien est exposé sont disponibles sur le site géorisques : www. Georisques. Gouv. Fr. Réseau immobilier capifrance - votre agent commercial (rsac n°881 368 286 - greffe de thonon les bains) nicolas bonnet entrepreneur individuel 06 68 36 50 32 - réf. 928537.

Terrain  207000 €
207 000 €

Terrain 516 m²

Saint-Jean-d'Aulps (74430)

74340-situé à saint jean d'aulps -proche morzine- (haute-savoie). Découvrez ce terrain situé à saint jean d'aulps, à seulement 10 minutes de morzine. Ce terrain constructible, d'une superficie dépassant les 515 m², vous offre une opportunité rare de réaliser votre rêve immobilier dans un cadre idyllique. Il est libre de tout constructeur, ce terrain offre une vue panoramique sur les montagnes environnantes. Son exposition plein sud et est garantit une luminosité optimale tout au long de la journée, vous permettant de profiter pleinement des paysages naturels environnants. À noter que l'assainissement individuel et la viabilisation partielle est faite il y a un beau potentiel sur ce terrain. De plus, pour concrétiser votre projet sans tracas, nous vous offrons la possibilité de collaborer avec notre partenaire constructeur pour la réalisation d'une maison individuelle. (exemple : maison individuelle de 100 m² avec garage attenant - 'terrain + frais de notaire + vrd + maison inclus). Pour toute information complémentaire ou pour organiser une visite sur place, n'hésitez pas à contacter isabelle david au 06 52 10 80 50 ou par email à l'adresse suivante : i.david@proprietes-privees.com. Les informations sur les risques auxquels ce terrain est exposé sont disponibles sur le site géorisques : . Fr cette présente annonce a été rédigée sous la responsabilité éditoriale de isabelle david agissant en qualité de conseiller immobilier indépendant sous portage salarial auprès de la sas proprietes privees, au capital de 40 000 euros, zac le chêne ferré - 44 allée des cinq continents 44120 vertou; siret 487 624 777 00040, rcs nantes. Carte professionnelle transactions sur immeubles et fonds de commerce (t) et gestion immobilière (g) n° cpi 4401 2016 000 010 388 délivrée par la cci nantes - saint nazaire. Compte séquestre n°309 32 50 84 67 bpa saint-sebastien-sur-loire (44230) ; garantie galian - 89 rue de la boétie, 75008 paris - n°28137 j pour 2 000 000 euros pour t et 120 000 euros pour g. Assurance responsabilité civile professionnelle par mma entreprise n° de police 120.137. 405.

Terrain  275000 €
275 000 €

Terrain 743 m²

Essert-Romand (74110)

Essert-Romand est un petit village situé à seulement 5 mn de Morzine, avec une majorité de résidences principales. Au sein d'un petit lotissement de 7 lots, ce terrain de 743 m², très légèrement en pente, permet la construction d'un chalet de 200 m². L'ensemble des viabilités sont situées en bordure du terrain. Secteur calme, ensoleillé et avec de jolies vues ! Prix : 275 000 € * Honoraires à la charge du vendeur Montant estimé des dépenses annuelles d'énergie pour un usage standard : non communiqué.

Terrain  290000 €
290 000 €

Terrain 1150 m²

Abondance (74360)

Terrain de 1150 m² dans un lotissement de 4 parcelles situé sur la commune d abondance 74200 le terrain peut être divisé sous conditions parce que vos projets immobiliers méritent de réussir.

Terrain  249000 €
249 000 €

Terrain 392 m²

Morzine (74110)

SOUS COMPROMIS : À seulement 60 m de la mairie et des services de navettes gratuites, ce terrain constructible est situé en zone UB11 de l'actuel PLUiH, ce qui laisse de nombreuses possibilités à ce bien : chalet individuel ou petite copropriété, il est possible de construire jusqu'à 12 m de hauteur et sur une emprise au sol jusqu'à 50 % ! Sa disposition en pente permettra à la nouvelle construction de pouvoir chercher les vues et l'ensoleillement maximal ! Prix : 249 000 € * Honoraires à la charge du vendeur Montant estimé des dépenses annuelles d'énergie pour un usage standard : non communiqué.