
Construction modulaire : l’avenir du bâtiment rapide et durable
Construire plus vite, mieux et avec moins d’impact : tel est le pari de la construction modulaire. Entre…
1 résultats
Rothbach, terrain 5.21 ares constructible rothbach, terrain 5.21 ares constructible situé à rothbach, dans un environnement calme, ce terrain constructible de 5,21 ares offre un cadre idéal pour un projet de construction en toute liberté, sans vis-à-vis direct. Caractéristiques : • zone ub • terrain non viabilisé • raccordements accessibles devant le terrain • terrain sur rue • aucun règlement de lotissement • libre de constructeur le terrain permet une grande liberté de conception, sans contrainte liée à un lotissement ou à un constructeur imposé. Pour tout complément d’information ou organiser une visite, merci de nous contacter. Honoraire à la charge du vendeur. Dpe non applicable.
Autres annonces à proximité de Rothbach (67340) avec vos critères
Situé à Offwiller (67340), ce terrain de 917 m² offre un cadre paisible et authentique, idéal pour se ressourcer loin de l'agitation urbaine. Offrant un accès facile aux principaux services (MAM, périscolaire, école), cette charmante commune séduit par son ambiance conviviale et sa proximité avec la nature environnante, offrant ainsi un cadre de vie agréable pour les futurs acquéreurs en quête de tranquillité. Ce terrain de construction de 917 m² représente une opportunité rare pour concrétiser un projet immobilier sur mesure. Sa surface généreuse offre de vastes possibilités d'aménagement. Ce terrain saura séduire les personnes désireuses de construire leur résidence principale ou secondaire dans un environnement préservé, promettant ainsi un cadre de vie unique et harmonieux. L'étude de terrain G1 et G2 à déjà été réalisée et sera transmise lors de la vente. Les informations sur les risques auxquels ce bien est exposé sont disponibles sur le site Géorisques : Prix de vente : 69 500 € Honoraires charge vendeur Contactez votre conseiller SAFTI : Fabien POGGIATO, Tél. : 06 16 84 33 70, E-mail : fabien.poggiato@safti.fr - EI - Agent commercial immatriculé au RSAC de Strasbourg sous le numéro 939668828.
À vendre Terrain constructible à OBERBRONN 9 ares 08 ca Vue dégagée. Situé dans le charmant village dOberbronn, à seulement quelques minutes de Niederbronn-les-Bains, venez découvrir ce beau terrain constructible de 9 ares 08, offrant un cadre verdoyant et paisible. Situé en zone UB, ce terrain non viabilisé bénéficie dune belle vue dégagée à l'arrière sur les champs environnants, parfait pour les amoureux de la nature à la recherche de tranquillité. Libre darchitecte, il vous laisse une grande liberté pour concevoir la maison qui vous ressemble. À découvrir sans tarder !
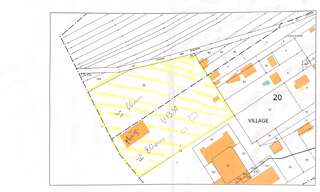
Terrain viabilisé de 945 m² à wimmenau – vue panoramique, plein sud, hors lotissement. Dans une rue en impasse à wimmenau, ce terrain viabilisé de 9,45 ares, exposé plein sud, offre une vue dégagée sur le village et le massif des vosges du nord, sans vis-à-vis ni risque de construction voisine. Atouts : libre de constructeur, facilement aménageable viabilisé (eau, électricité, assainissement) cadre naturel préservé, à 300 m des transports et de l'école proche d'ingwiller (gare, commerces, hôpital) prix : 94 600 € fai contactez-moi pour plus d'infos ou une visite ! Un emplacement rare, à ne pas manquer. Les honoraires d'agence sont à la charge de l'acquéreur, soit 7,50% ttc du prix hors honoraires. Les informations sur les risques auxquels ce bien est exposé sont disponibles sur le site géorisques : www. Georisques. Gouv. Fr. Contactez valentin steinmetz entrepreneur individuel, agent commercial optimhome (rsac n°894 514 231 greffe de saverne) 07 83 20 86 76 (réf. 584455 ).

Recevez en temps réel les dernières annonces correspondant à votre recherche
Une pépite nichée au cœur des vosges du nord ! Sur les hauteurs de philippsbourg (57230), en lisière de forêt, ce terrain de 8,68 ares (868 m²) vous invite à concrétiser vos projets immobiliers, qu'il s'agisse d'une résidence principale, d'une maison de vacances ou d'un chalet en pleine nature. Nichée au cœur du parc naturel régional des vosges du nord, cette parcelle non viabilisée offre un environnement tranquille, une mise au vert ressourçante avec une vue imprenable sur les collines environnantes et une exposition idéale pour profiter de chaque rayon du soleil. Caractéristiques principales : - superficie : 868 m² - terrain à viabiliser - cadre privilégié, sans vis-à-vis - vue dégagée sur la nature et les collines - quartier résidentiel calme et proche de la forêt - proche de niederbronn-les-bains et reichshoffen une opportunité pour celles et ceux qui rêvent d'un projet sur-mesure dans un décor de carte postale ! Les honoraires sont à la charge du vendeur. Les informations sur les risques auxquels ce bien est exposé sont disponibles sur le site géorisques : www. Georisques. Gouv. Fr. Réseau immobilier capifrance - votre agent commercial (rsac n°900 725 607 - greffe de strasbourg) stéphanie ripp entrepreneur individuel 06 76 27 05 40 - réf. 913918.
Val de moder, terrain à bâtir, a bitschhoffen, à la sortie du village, terrain plat constructible de 10,32 ares, non viabilisé. Belle orientation, plein sud, vers l’arrière du terrain. Possibilité d’acquérir 5,35 ares supplémentaires. Honoraires à la charge du vendeur.
Reichshoffen - terrain constructible situé dans un lotissement au calme de 7 ares 31 ca, libre d'architecte et en zone ub. Il s'agit de la parcelle 606. Ce terrain dispose d'une belle largeur de façade d'environ 26 mètres et avec une possibilité de construire une de maison de plain pied ou de deux maisons mitoyennes.
Neunhoffen, terrain 1 hectare 40 ares en partie constructible aux portes de niederbronn-les-bains, à neunhoffen (67110), terrain plat en pleine nature : - constructible pour une habitation sur environ 25 ares. - dispose d'un ancien manège à chevaux d'environ 530 m² en parfait état pouvant être réhabilité en habitation sur environ 25 ares. - dispose de 4 petits chalets des années 70 facilement démontables. - dispose de terres forestières en zone n d'environ 80 ares. De magnifiques arbres ornent la parcelle. Possibilité de se raccorder à l'assainissement du village (tout à l'égout), à l'électricité, à l'eau, éligible à la fibre optique. Accès par un chemin forestier facilement accessible. Installez-vous, créez un petit domaine dans ce beau parc, petit paradis à l'abri des regards dans un environnement exceptionnel ! À 13 minutes de la gare / 35 min de haguenau / village très dynamique, nombreuses associations, écoles - crèche - périscolaire. Non autorisées : habitations légères (type tiny house). Uniquement pour projet d'habitation et possibilité de réhabilitation du manège à chevaux en habitation. Honoraires à la charge du vendeur. Dpe non applicable.
Terrain constructible de 8,18ares à Dambach À vendre – Terrain constructible de 8a18ca à Dambach Emplacement rare dans un cadre privilégié À découvrir en exclusivité : magnifique terrain à bâtir de 8 ares 18 centiares, situé à Dambach, dans un secteur calme et recherché. Idéal pour concrétiser un projet de vie dans un cadre verdoyant et paisible. Le terrain est entièrement viabilisé : • Eau • Électricité • Égouts (eaux usées) • Fibre optique • Réseaux enterrés en souterrain pour une esthétique préservée Libre d’architecte et sans règlement de lotissement (lotissement datant de plus de 10 ans) – vous êtes entièrement libre de vos choix architecturaux et techniques. Laissez libre cours à votre imagination : Maison bois, minimaliste, contemporaine, écologique… tout est possible ! ️ Rue peu passante – Belle exposition ️ Environnement résidentiel avec des constructions déjà en place Honoraires charge vendeur.
Iad France - Elodie Stumpf vous propose : ? Terrain de loisirs 2051 m² – Nature et petit ruisseau à Soucht ? À vendre : beau terrain de loisirs de 2051 m² situé à Soucht, dans un cadre verdoyant et paisible. Environnement naturel privilégié Aucun bâtiment existant Petit ruisseau sur le terrain Idéal pour jardin, potager, coin détente ou projet nature Facile d'accès en voiture Electricité en bordure de terrain, possible raccordement. Ce terrain est parfait pour les amateurs de plein air à la recherche d’un havre de paix. Le petit ruisseau apporte fraîcheur, charme et sérénité à ce lieu unique. ? Localisation : à proximité du village, tout en étant à l’écart pour plus de tranquillité ? Superficie : 2051 m² Un vrai coin de nature à découvrir sans tarder ! Honoraires d'agence à la charge du vendeur. Bien non soumis au DPE. Les informations sur les risques auxquels ce bien est exposé, y compris l'obligation légale de débroussaillement, sont disponibles sur le site Géorisques : La présente annonce immobilière a été rédigée sous la responsabilité éditoriale de Mme Elodie Stumpf mandataire indépendant en immobilier (sans détention de fonds), agent commercial de la SAS I@D France immatriculé au RSAC de Saverne sous le numéro 799060074, titulaire de la carte de démarchage immobilier pour le compte de la société I@D France SAS.
En exclusivité, situé dans la charmante ville de bitche, ce terrain de 952 m² et plus de 25mètres de façade offre un cadre paisible et agréable pour la construction d'un nouveau projet résidentiel. Bitche est réputée pour son patrimoine historique riche et sa qualité de vie enviable. Bénéficiant d'un environnement calme, ce terrain à bâtir est idéalement positionné à proximité de toutes les commodités nécessaires au quotidien, tels que des commerces, écoles et services, offrant ainsi un équilibre parfait entre tranquillité et accessibilité. N'hésitez pas à me contacter pour davantage d'informations. Les informations sur les risques auxquels ce bien est exposé sont disponibles sur le site géorisques : prix de vente : 39 000 € honoraires charge vendeur contactez votre conseiller safti : claire ringeisen, tél. : 06 23 88 31 21, e-mail : claire.ringeisen@safti.fr - ei - agent commercial immatriculé au rsac de sarreguemines sous le numéro 880 952 155.
Iad France - Emilie Utzeri vous propose : Terrain de 722 m² à bâtir à Ernolsheim-lès-Saverne. * Etude de Sol G1, réaliser en janvier 2025. * Vous rêvez de construire la maison de vos rêves dans un cadre paisible et verdoyant ? Ce terrain de 722 m² situé à Ernolsheim-lès-Saverne est l'endroit parfait pour concrétiser votre projet immobilier. Ce terrain à bâtir offre une belle surface permettant la construction d'une maison spacieuse avec jardin. Son exposition Est vous garantit une luminosité optimale tout au long de la journée, pour des espaces de vie agréables et lumineux. Ce terrain offre confort et tranquillité à ses futurs propriétaires. Vous pourrez profiter d'un cadre de vie préservé, proche de la nature, tout en bénéficiant d'une accessibilité rapide vers les commerces, les écoles et les services essentiels. Ce terrain est idéal pour les familles qui souhaitent construire leur résidence principale ou pour les investisseurs à la recherche d'un bien immobilier à fort potentiel. N'attendez plus pour concrétiser votre projet de construction et laissez-vous séduire par ce terrain d'exception à Ernolsheim-lès-Saverne. Etudes de sol en cours. Honoraires d'agence à la charge du vendeur. Bien non soumis au DPE. Les informations sur les risques auxquels ce bien est exposé, y compris l'obligation légale de débroussaillement, sont disponibles sur le site Géorisques : . La présente annonce immobilière a été rédigée sous la responsabilité éditoriale de Mme Emilie Utzeri mandataire indépendant en immobilier (sans détention de fonds), agent commercial de la SAS I@D France immatriculé au RSAC de SAVERNE sous le numéro 929115582, titulaire de la carte de démarchage immobilier pour le compte de la société I@D France SAS.