
Le baromètre immobilier : Décembre 2025 – Le Site Immo
Prix au m², taux de crédit, régions en hausse, villes en correction et impact du DPE : le baromètre…
2 résultats
Marion plantinet vous propose ce terrain à bâtir à quelques minutes de chinon d'une belle superficie de 5221 m² ! À 5min de chinon vous rêvez de construire dans un cadre paisible ? Découvrez ce superbe terrain de 5221 m² d'une superficie constructible d'environ 2300 m² sur la commune de cinais - situé en dehors du périmètre abf - environnement boisé - belle façade de 58 mètres - raccordements à prévoir (eau, électricité) - assainissement autonome à prévoir ce terrain vous charmera par sa grandeur et son environnement boisé tout en étant aux portes de chinon ! Prix : 49 990 euros hai pour visiter et vous accompagner dans votre projet, contactez marion plantinet, au 06 84 43 06 24 ou par courriel à m.plantinet@proprietes-privees.com cette présente annonce a été rédigée sous la responsabilité éditoriale de marion plantinet agissant sous le statut d'agent commercial immatriculé au rsac tours 838911220 auprès de la sas proprietes privees, réseau national immobilier, au capital de 40000 euros, 44 allée des cinq continents - zac le chêne ferré, 44120 vertou, rcs nantes n° 487 624 777 00040, carte professionnelle t et g n° cpi 4401 2016 000 010 388 cci nantes-saint nazaire. Garantie galian - 89 rue de la boétie, 75008 paris mandat réf : 431707- le professionnel garantit et sécurise votre projet immobilier. (11.09 % honoraires ttc à la charge de l'acquéreur.) marion plantinet (ei) agent commercial - numéro rsac : tours 838911220 -. Les informations sur les risques auxquels ce bien est exposé sont disponibles sur le site géorisques : www. Georisques. Gouv. Fr.
Superbe terrain constructible, en partie constructible sur environ 2500 m² en zone ubb le este en zone n à proximité de chinon les informations sur les risques auxquels ce bien est exposé sont disponibles sur le site géorisques : prix de vente : 49 000 € honoraires charge vendeur contactez votre conseiller safti : jean-marc denaveau, tél. : 06 86 25 28 10, e-mail : jeanmarc.denaveau@safti.fr - ei - agent commercial immatriculé au rsac de tours sous le numéro 827 507 328.
Autres annonces à proximité de Cinais (37500) avec vos critères
Marion plantinet vous propose en exclusivité à quelques minutes de chinon - terrain à bâtir avec une très belle vue dégagée de 1438 m² thizay, vue dégagée sur la vallée terrain à bâtir situé en position dominante, offrant une belle vue dégagée. Il dispose d'un hangar en bois de 42 m² et d'une cave, des atouts appréciables pour un futur projet. Les réseaux sont à proximité : compteur d'eau et tabouret du tout-à-l'égout sur le terrain, électricité en bordure. Avec une façade d'environ 40 m, ce terrain permet de belles perspectives de construction. Situé dans le périmètre des bâtiments de france, en zone u-co du plui-h. Prix : 49 990 euros hai pour visiter et vous accompagner dans votre projet, contactez marion plantinet, au 06 84 43 06 24 ou par courriel à m.plantinet@proprietes-privees.com cette présente annonce a été rédigée sous la responsabilité éditoriale de marion plantinet agissant sous le statut d'agent commercial immatriculé au rsac tours 838911220 auprès de la sas proprietes privees, réseau national immobilier, au capital de 40000 euros, 44 allée des cinq continents - zac le chêne ferré, 44120 vertou, rcs nantes n° 487 624 777 00040, carte professionnelle t et g n° cpi 4401 2016 000 010 388 cci nantes-saint nazaire. Garantie galian - 89 rue de la boétie, 75008 paris mandat réf : 432727 le professionnel garantit et sécurise votre projet immobilier. (11.09 % honoraires ttc à la charge de l'acquéreur.) marion plantinet (ei) agent commercial - numéro rsac : tours 838911220 -. Les informations sur les risques auxquels ce bien est exposé sont disponibles sur le site géorisques : www. Georisques. Gouv. Fr.
Iad france - guillaume vigneron vous propose : sur la commune de lerné, venez découvrir en exclusivité ce terrain à bâtir d’une superficie de 1546 m² env. Entièrement clôturé sur les côtés et à l’arrière, il bénéficie d’une façade de 19,5 m donnant directement sur la rue principale. Les réseaux d’eau, d’électricité et de télécommunications (fibre) sont disponibles en façade. Ce terrain est situé en zone classée : toute construction est soumise à l’accord de l’architecte des bâtiments de france, lerné étant un charmant village de caractère. Un certificat d'urbanisme valide la possibilité de construire jusqu'à deux maisons sur ce terrain. Dans un environnement paisible et préservé.

Recevez en temps réel les dernières annonces correspondant à votre recherche
À vendre, superbe terrain constructible de 1510 m² situé à Chinon, ville emblématique au cœur du Val de Loire, réputée pour son riche patrimoine historique et culturel. Ce terrain plat, piscinable et entièrement clos est idéal pour un projet résidentiel de qualité. Exposé sud ouest, il bénéficie d'un ensoleillement optimal toute la journée. Une dépendance sur le terrain de 60 m² à rénover offre des possibilités d'aménagement ou de stockage supplémentaires. Les raccordements pour viabiliser le terrain se situe en limite de propriété. L'eau, l'électricité, la fibre et le télécom y sont disponible. L'assainissement tout à l'égout reste à raccorder, et le terrain est borné, facilitant ainsi votre projet de construction. Situé dans un cadre champêtre, vous profitez du calme et de la nature environnante tout en restant à proximité des commodités. Chinon, charmante cité médiévale, est connue pour son château majestueux et ses ruelles pittoresques. Elle offre un cadre de vie agréable avec ses marchés, restaurants, et commerces. Le terrain se trouve à quelques minutes des écoles, du centre commercial, des services de santé, et des transports en commun, qui facilitent les déplacements. À seulement une heure de Tours, Chinon propose un cadre idéal pour concilier vie à la campagne et accès rapide aux grands centres urbains. Ne manquez pas cette opportunité rare d'acquérir un terrain alliant espace, praticité et tranquillité à seulement quelques pas de toutes les commodités essentielles.
Emplacement priviligié pour ce terrain constructible de 1060 m² situé sur la commune de chinon proche de toutes les commodités. Vue magnifique sur la forêt. Raccordement électrique effectué, reseau d'eau en limite de propriété. Assainissement individuel à prévoir. Argile exposition nulle : aucune présence de sols argileux n'a été identifiée selon les cartes géologiques actuelles. Les informations sur les risques auxquels ce bien est exposé sont disponibles sur le site géorisques : prix de vente : 54 000 € honoraires charge vendeur contactez votre conseiller safti : jean-marc denaveau, tél. : 06 86 25 28 10, e-mail : jeanmarc.denaveau@safti.fr - ei - agent commercial immatriculé au rsac de tours sous le numéro 827 507 328.
Iad france - monique paumier vous propose : hors zone inondable, terrain constructible de 1224 m² secteur la rochelle. Eau, électricité, tout à l'égout en bordure du terrain. Certificat d'urbanisme positif honoraires d'agence à la charge du vendeur. Bien non soumis au dpe. Les informations sur les risques auxquels ce bien est exposé, y compris l'obligation légale de débroussaillement, sont disponibles sur le site géorisques : la présente annonce immobilière a été rédigée sous la responsabilité éditoriale de mme monique paumier mandataire indépendant en immobilier (sans détention de fonds), agent commercial de la sas i@d france immatriculé au rsac de tours sous le numéro 827736679, titulaire de la carte de démarchage immobilier pour le compte de la société i@d france sas.
Superbes parcelles sur chinon 1ha 7458 d'un seul tenant, accès par un chemin forestier c432 et c1364 pour 17458 en zone av plus lot de 3 parcelles, à proximité, commune de cravant d17, d22 en zone a et d64 en zone nf les informations sur les risques auxquels ce bien est exposé sont disponibles sur le site géorisques : prix de vente : 15 000 € honoraires charge vendeur contactez votre conseiller safti : jean-marc denaveau, tél. : 06 86 25 28 10, e-mail : jeanmarc.denaveau@safti.fr - ei - agent commercial immatriculé au rsac de tours sous le numéro 827 507 328.
Iad france - tiphaine berton vous propose : a chinon ! Grand terrain constructible et viabilisé, entièrement clos, comprenant deux maisons type préfabriqué, ainsi qu'un atelier. Eau potable, électricité, puits avec pompe, chaque préfabriqué est relié à sa propre fosse septique (de 2015) un autre terrain attenant également clos. Honoraires d'agence à la charge du vendeur. Bien non soumis au dpe. Les informations sur les risques auxquels ce bien est exposé, y compris l'obligation légale de débroussaillement, sont disponibles sur le site géorisques : la présente annonce immobilière a été rédigée sous la responsabilité éditoriale de mme tiphaine berton mandataire indépendant en immobilier (sans détention de fonds), agent commercial de la sas i@d france immatriculé au rsac de tours sous le numéro 883334468, titulaire de la carte de démarchage immobilier pour le compte de la société i@d france sas.
Situé dans la charmante commune de Saint-Germain-sur-Vienne (37500), ce terrain offre un cadre paisible et une qualité de vie recherchée. À proximité des commodités locales, des écoles et des commerces, ce terrain bénéficie d'un emplacement idéal pour construire la maison de ses rêves. La ville propose également de magnifiques espaces verts où il est possible de se détendre en toute quiétude. D'une surface habitable de 1980 m², ce terrain constructible borné représente une opportunité rare sur le marché immobilier. Sa superficie généreuse offre de multiples possibilités d'aménagement pour réaliser un projet sur-mesure. Idéal pour les acquéreurs souhaitant investir dans la construction d'une résidence principale ou secondaire, ce terrain saura séduire les amateurs de tranquillité et de nature. Les informations sur les risques auxquels ce bien est exposé sont disponibles sur le site Géorisques : Prix de vente : 31 000 € Honoraires charge vendeur Contactez votre conseiller SAFTI : Tiphaine DECAENS, Tél. : 06 60 26 21 33, E-mail : tiphaine.decaens@safti.fr - EI - Agent commercial immatriculé au RSAC de Melun sous le numéro 834624207.
4204-beuxes- terrain viabilisé d'environ 1100 m². Eau et électricité sur place. Tout à l'égout. Honoraires charge vendeurs. . Enguerrand boileau : 06 99 23 30 50.
Iad france - guillaume vigneron vous propose : sur la commune de savigny-en-véron, de venir découvrir ce superbe terrain à bâtir. Avec une exposition plein sud, ce terrain offre un cadre idéal pour créer la maison de vos rêves et profiter pleinement de la lumière naturelle tout au long de la journée. Certificat d’urbanisme opérationnel validé pour ce projet avec véranda et garage. Terrain desservit par les réseaux d’eau, d’électricité, d’assainissement et de télécom (fibre). À seulement 1,2 km de la boulangerie, du bourg et de l'école maternelle et primaire la clochette, et à quelques kilomètres du collège henri becquerel avoine et du lycée françois rabelais, ce terrain offre un cadre de vie paisible et pratique pour les familles. De plus, avec un accès rapide au cnpe (à 4km), à l'autoroute a85 (à 5.9 km) et à la gare ter port boulet (à 6.5 km), vous bénéficierez d'une excellente accessibilité. Profitez également des centres commerciaux hyper u bourgueil et leclerc chinon. Pour toutes informations complémentaires ou visite, contactez-moi. Honoraires d'agence à la charge du vendeur. Bien non soumis au dpe. Les informations sur les risques auxquels ce bien est exposé, y compris l'obligation légale de débroussaillement, sont disponibles sur le site géorisques : la présente annonce immobilière a été rédigée sous la responsabilité éditoriale de m guillaume vigneron mandataire indépendant en immobilier (sans détention de fonds), agent commercial de la sas i@d france immatriculé au rsac de tours sous le numéro 897949111, titulaire de la carte de démarchage immobilier pour le compte de la société i@d france sas.
Iad France - Matthea Bourmault vous propose : Découvrez ce charmant terrain de loisirs arboré, offrant un cadre naturel préservé et une véritable invitation à la détente. Avec ses arbres matures et sa végétation variée, cet espace vous permet de profiter pleinement de la nature tout en étant proche des commodités. Une maisonnette se trouve sur le terrain, offrant un potentiel important pour ceux qui souhaitent la rénover et créer un lieu à leur image. L’ensemble du terrain est entièrement clôturé, garantissant intimité et sécurité, et un chemin d’accès facilite l’entrée et la circulation sur la propriété. Le terrain dispose également d’un puits, parfait pour l’arrosage ou pour vos projets de loisirs. Bien qu’il ne soit pas raccordé à l’électricité, cette caractéristique vous offre la possibilité de concevoir votre espace selon vos envies, dans un cadre authentique et reposant. Idéalement situé à proximité de la sortie d’autoroute, vous bénéficiez d’un accès rapide vers Tours, Paris et les environs, tout en profitant de la tranquillité d’un lieu retiré. Ce terrain représente une opportunité rare pour créer un espace de loisirs sur mesure, au cOEur de la nature. Honoraires d'agence à la charge du vendeur. Bien non soumis au DPE. Les informations sur les risques auxquels ce bien est exposé, y compris l'obligation légale de débroussaillement, sont disponibles sur le site Géorisques : La présente annonce immobilière a été rédigée sous la responsabilité éditoriale de Mme Matthea Bourmault mandataire indépendant en immobilier (sans détention de fonds), agent commercial de la SAS I@D France immatriculé au RSAC de TOURS sous le numéro 979454279, titulaire de la carte de démarchage immobilier pour le compte de la société I@D France SAS.
4205-beuxes- terrain viabilisé d'environ 1100 m². Eau et électricité sur place. Tout à l'égout. Honoraires charge vendeurs. . Enguerrand boileau : 06 99 23 30 50.
4206-beuxes- terrain viabilisé d'environ 1100 m². Eau et électricité sur place. Tout à l'égout. Honoraires charge vendeurs. . Enguerrand boileau : 06 99 23 30 50.
4207-beuxes- terrain viabilisé d'environ 1100 m². Eau et électricité sur place. Tout à l'égout. Honoraires charge vendeurs. . Enguerrand boileau : 06 99 23 30 50.
4208-beuxes- terrain viabilisé d'environ 1300 m². Eau et électricité sur place. Tout à l'égout. Honoraires charge vendeurs. . Enguerrand boileau : 06 99 23 30 50.
Ref9109. Terrain constructible de 2750 m² non viabilisé. Eau électricité et assainissement facile dans la rue. Présence d'une grange de 70 m² toiture récente et d'un puit. Largeur du terrain 25 mètres environ. Erp : (honoraires charges acquéreurs) laurent auriault tel : 07 48 17 37 52.
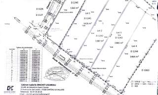
Iad france - tiphaine berton vous propose : terrain à bâtir à 12mn de chinon, sur la commune de huismes, de 1387 m². Terrain plat lot 2 du plan viabilisé en eau et assainissement, ( électricité et fibre en bordure de parcelle) façade de 18 m², zone ubb du plu-i. Honoraires d'agence à la charge du vendeur. Bien non soumis au dpe. Les informations sur les risques auxquels ce bien est exposé, y compris l'obligation légale de débroussaillement, sont disponibles sur le site géorisques : la présente annonce immobilière a été rédigée sous la responsabilité éditoriale de mme tiphaine berton mandataire indépendant en immobilier (sans détention de fonds), agent commercial de la sas i@d france immatriculé au rsac de tours sous le numéro 883334468, titulaire de la carte de démarchage immobilier pour le compte de la société i@d france sas.
Deux parcelles pour un total de 8150 m² en zone a au calme et en bordure de route clôturé poteau en charme hauteur 2m tous les 4-5 mètres 3 hauteurs de bandes larges (4cm) raccordé à un électrificateur les informations sur les risques auxquels ce bien est exposé sont disponibles sur le site géorisques : prix de vente : 9 900 € honoraires charge vendeur contactez votre conseiller safti : jean-marc denaveau, tél. : 06 86 25 28 10, e-mail : jeanmarc.denaveau@safti.fr - ei - agent commercial immatriculé au rsac de tours sous le numéro 827 507 328.
Terrains non constructible e252 e253 e268 parcelles de terre zone n egalement disponible : e484 en zone a 8225 m² pour 5700€ b153 nf et b244 en av pour un total de 4360 m² pour 4500€ f425 f184 f183 f182 4 parcelles en zone npi chapelle / loire, côté commune de huismes. 8885 m² pour 6900€ huismes f 601 621 597 et 612 en zone nf 8060 m² pour 5500€ benais zc63 zc64 zc65 en zone n 7097 m² pour 7500€ les informations sur les risques auxquels ce bien est exposé sont disponibles sur le site géorisques : prix de vente : 4 500 € honoraires charge vendeur contactez votre conseiller safti : bruno gruson, tél. : 06 60 90 52 26, e-mail : bruno.gruson@safti.fr - ei - agent commercial immatriculé au rsac de quimper sous le numéro 539 653 410.
Terrains non constructible deux parcelles de terre b153 b244 l'une en nf et l'autre en av pour un total de 4360 m² également disponible : e252 e253 e268 en zone n 6830 m² pour 4900€ e484 en zone a 8225 m² pour 5700€ f425 f184 f183 f182 4 parcelles en zone npi chapelle / loire, côté commune de huismes. 8885 m² pour 6900€ huismes f 601 621 597 et 612 en zone nf 8060 m² pour 5500€ benais zc63 zc64 zc65 en zone n 7097 m² pour 7500€ les informations sur les risques auxquels ce bien est exposé sont disponibles sur le site géorisques : prix de vente : 4 200 € honoraires charge vendeur contactez votre conseiller safti : bruno gruson, tél. : 06 60 90 52 26, e-mail : bruno.gruson@safti.fr - ei - agent commercial immatriculé au rsac de quimper sous le numéro 539 653 410.
Terrains non constructibles parcelle de taillis en zone a e484 également disponible : e252 e253 e268 en zone n 6830 m² pour 4900€ b153 nf et b244 en av pour un total de 4360 m² pour 4500€ f425 f184 f183 f182 4 parcelles en zone npi chapelle / loire, côté commune de huismes. 8885 m² pour 6900€ huismes f 601 621 597 et 612 en zone nf 8060 m² pour 5500€ benais zc63 zc64 zc65 en zone n 7097 m² pour 7500€ les informations sur les risques auxquels ce bien est exposé sont disponibles sur le site géorisques : prix de vente : 5 300 € honoraires charge vendeur contactez votre conseiller safti : bruno gruson, tél. : 06 60 90 52 26, e-mail : bruno.gruson@safti.fr - ei - agent commercial immatriculé au rsac de quimper sous le numéro 539 653 410.
37500 chinon - 7mn de chinon - terrain à batir de 1506 m² a 7 min de chinon vous rêvez de construire dans un cadre paisible ? Découvrez ce superbe terrain à bâtir de 1506 m², idéalement situé à anché, à seulement 7 minutes de chinon. - environnement calme - belle façade de 20 mètres - raccordements à prévoir (eau, électricité) - tabouret de tout à l'égout sur place - en partie clôturé - zone ubb du plu prix : 33 990 euros hai pour visiter et vous accompagner dans votre projet, contactez marion plantinet, au 06 84 43 06 24 ou par courriel à m.plantinet@proprietes-privees.com cette présente annonce a été rédigée sous la responsabilité éditoriale de marion plantinet agissant sous le statut d'agent commercial immatriculé au rsac tours 838911220 auprès de la sas proprietes privees, réseau national immobilier, au capital de 40000 euros, 44 allée des cinq continents - zac le chêne ferré, 44120 vertou, rcs nantes n° 487 624 777 00040, carte professionnelle t et g n° cpi 4401 2016 000 010 388 cci nantes-saint nazaire. Garantie galian - 89 rue de la boétie, 75008 paris mandat réf : 410678- le professionnel garantit et sécurise votre projet immobilier. (13.30 % honoraires ttc à la charge de l'acquéreur.) marion plantinet (ei) agent commercial - numéro rsac : tours 838911220 -.
Terrains non constructible f425 f184 f183 f182 4 parcelles en zone npi chapelle / loire, côté commune de huismes. 8885 m² pour 6900€ egalement disponible : parcelle de taillis en zone a e484 e252 e253 e268 en zone n 6830 m² pour 4900€ b153 nf et b244 en av pour un total de 4360 m² pour 4500€ ensemble de 4 parcelles de terre pour un total de 8060 m² en zone nf dont deux contiguës en bord de chemin pour 5150 m² f 601 621 597 et 612 huismes f 601 621 597 et 612 en zone nf 8060 m² pour 5500€ benais zc63 zc64 zc65 en zone n 7097 m² pour 7500€ les informations sur les risques auxquels ce bien est exposé sont disponibles sur le site géorisques : prix de vente : 6 500 € honoraires charge vendeur contactez votre conseiller safti : bruno gruson, tél. : 06 60 90 52 26, e-mail : bruno.gruson@safti.fr - ei - agent commercial immatriculé au rsac de quimper sous le numéro 539 653 410.

Prix au m², taux de crédit, régions en hausse, villes en correction et impact du DPE : le baromètre…

Construire plus vite, mieux et avec moins d’impact : tel est le pari de la construction modulaire. Entre…

Votre boussole pour réussir votre premier (ou prochain) achat immobilier Guide de l’acheteur – Acheter un…