1 résultats
8327 PRINCAY Lot de 8 parcelles constructibles viabilisés avec chemin central desservant les parcelles, station de relevage pour le tout à l'égout et bassin d'orages, prête à construire situé à 15 min de Lencloître et 30 min de Châtellerault, dans un lieu paisible et calme. Voir le détail des parcelles sur la photo 4. ERP : georisques. gouv. fr Hors honoraires : 95000€ Honoraires charge acquéreur 6.32% = 6000€ Perdriault Anael 06 98 69 26 64.
Autres annonces à proximité de Cernay (86140) avec vos critères
Iad France - Léa Lamarche vous propose : Magnifique Terrain Constructible de 1100 m² à Doussay - Exposition Sud Opportunité rare sur le marché ! Ce terrain de 1100 m² situé à Doussay offre un espace idéal pour réaliser le projet de construction de vos rêves. Avec une exposition plein sud, ce terrain vous permettra de profiter d'un ensoleillement optimal tout au long de la journée. Ce terrain, d'une surface généreuse et rectangulaire (62 m environ de longueur 18 m environ de façade), offre de nombreuses possibilités pour la construction de votre future maison. Imaginez-vous avec votre famille, au cOEur de la nature, dans un cadre paisible et verdoyant offrant calme et sérénité. Situé dans un environnement préservé, ce terrain bénéficie de tous les réseaux existants nécessaires pour votre future construction : électricité et eau potable. La parcelle est également prévue pour l'installation d'une fosse septique. Tous les aménagements nécessaires pour profiter pleinement de votre futur lieu de vie sont à portée de main. Ce terrain offre un cadre de vie idéal pour ceux qui recherchent la tranquillité à proximité des commodités de la ville. Laissez libre cours à votre imagination et concrétisez votre projet de construction en harmonie avec la nature environnante. Ne manquez pas cette opportunité exceptionnelle d'acquérir un terrain de qualité à Doussay. Contactez-nous dès maintenant pour organiser une visite et commencer à concrétiser votre projet de vie. Honoraires d'agence à la charge du vendeur. Bien non soumis au DPE. Les informations sur les risques auxquels ce bien est exposé, y compris l'obligation légale de débroussaillement, sont disponibles sur le site Géorisques : La présente annonce immobilière a été rédigée sous la responsabilité éditoriale de Mme Léa Lamarche mandataire indépendant en immobilier (sans détention de fonds), agent commercial de la SAS I@D France immatriculé au RSAC de POITIERS sous le numéro 941786618, titulaire de la carte de démarchage immobilier pour le compte de la société I@D France SAS.
Situé à Doussay (86140), ce terrain offre un cadre paisible et attractif pour envisager la construction de votre future résidence. Niché dans un environnement calme et agréable, ce terrain bénéficie d'une proximité appréciable avec les commodités essentielles telles que les commerces, les écoles et les transports en commun. De plus, Doussay se distingue par son ambiance conviviale et son patrimoine historique, faisant de cette localité un lieu de vie recherché pour les familles et les amateurs de tranquillité. D'une superficie de 1004 m², ce terrain borné et viabilisé offre un espace idéal pour concrétiser votre projet de construction. Sa configuration vierge et bien délimitée vous permettra de laisser libre cours à votre imagination pour concevoir la maison de vos rêves, dans un cadre naturel préservé. Profitez de cette opportunité rare pour investir dans un terrain prêt à accueillir votre future demeure, dans un environnement serein et propice à un mode de vie harmonieux. Les informations sur les risques auxquels ce bien est exposé sont disponibles sur le site Géorisques : Prix de vente : 29 100 € Honoraires charge vendeur Contactez votre conseiller SAFTI : Tiphaine DECAENS, Tél. : 06 60 26 21 33, E-mail : tiphaine.decaens@safti.fr - EI - Agent commercial immatriculé au RSAC de Melun sous le numéro 834624207.
86140-lencloitre- situé dans la charmante commune de lencloitre, ce terrain constructible est une belle opportunité pour concrétiser votre projet immobilier. Offrant un cadre calme et agréable, il est idéalement placé pour une construction résidentielle. Caractéristiques principales : surface du terrain : 1000 m² terrain plat et bien exposé accès facile à la route principale certificat d'urbanisme (cu) en cours de validité, permettant une construction conforme aux normes locales. Viabilisation : les réseaux (eau, électricité, téléphone, tout-à-l'égout) sont à proximité. Environnement calme et verdoyant, à quelques minutes des commodités du centre bourg. Ce terrain est parfait pour accueillir une maison individuelle ou un projet immobilier, avec un bel espace extérieur pour profiter de la nature environnante. À visiter rapidement ! Mandat : 406658clq budget : 25 000 euros (honoraires charge vendeur) pour visiter et vous accompagner dans votre projet, contactez chantal liquois, au 06 21 12 23 10 ou, par courriel à c.liquois@proprietes-privees.com. Selon l'article l. 561.5 du code monétaire et financier, pour l'organisation de la visite, la présentation d'une pièce d'identité vous sera demandée. Cette annonce a été rédigée sous la responsabilité éditoriale de chantal liquois agissant sous le statut d'agent commercial immatriculé au rsac poitiers 950599076 auprès de sas proprietes privees, au capital de 44 920 euros, zac le chêne ferré - 44 allée des cinq continents 44120 vertou; siret 487 624 777 00040, rcs nantes. Carte professionnelle transactions sur immeubles et fonds de commerce (t) et gestion immobilière (g) n°cpi 4401 2016 000 010 388 délivrée par la cci nantes - saint nazaire. Compte séquestre n°309 32 50 84 67 bpa saint-sebastien-sur-loire (44230). Garantie galian-smabtp - 89 rue de la boétie, 75008 paris - n°28137 j pour 2 000 000 euros pour t et 120 000 euros pour g. Assurance responsabilité civile professionnelle par galian-smabtp n° de police 28137. J mandat réf : 406658clq - le professionnel garantit et sécurise votre projet immobilier. Chantal liquois (ei) agent commercial - numéro rsac : poitiers 950599076 -.

Recevez en temps réel les dernières annonces correspondant à votre recherche
Iad France - Emilien Frejoux vous propose : Terrain à bâtir situé à Lencloître, idéal pour concrétiser votre projet de construction. Avec une surface de 1170m carré. Ce terrain offre un potentiel pour la réalisation de votre future habitation dans un environnement paisible et verdoyant. Imaginez les espaces de vie que vous pourriez créer, en harmonie avec la nature environnante. Situé dans un quartier calme et résidentiel, ce terrain offre une opportunité de construire la maison de vos rêves, adaptée à vos besoins et à vos envies. Bien entendu, vous aurez l'opportunité de choisir l'architecte et le constructeur qui donneront vie à votre projet, tout en respectant les règles d'urbanisme en vigueur. Lencloître est une commune dynamique et conviviale, offrant à ses habitants un cadre de vie agréable avec des commodités de proximité, des écoles, des commerces et des espaces verts propices à la détente et aux loisirs. Vous pourrez profiter de la tranquillité de la campagne tout en restant proche des grandes villes environnantes. Ce terrain à bâtir est une véritable opportunité pour concrétiser votre projet immobilier et construire la maison qui vous ressemble. N'hésitez pas à me contacter dès maintenant pour plus d'informations et pour programmer une visite sur place. Honoraires d'agence à la charge du vendeur. Bien non soumis au DPE. Les informations sur les risques auxquels ce bien est exposé, y compris l'obligation légale de débroussaillement, sont disponibles sur le site Géorisques : . La présente annonce immobilière a été rédigée sous la responsabilité éditoriale de M Emilien Frejoux mandataire indépendant en immobilier (sans détention de fonds), agent commercial de la SAS I@D France immatriculé au RSAC de POITIERS sous le numéro 898784970, titulaire de la carte de démarchage immobilier pour le compte de la société I@D France SAS.
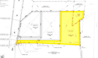
Situé à Doussay (86140), ce terrain constructible de 1113 m² offre une opportunité exceptionnelle d'acquérir un bien dans un hameau calme aux abords de Lencloître. Cette localité pittoresque séduit par son environnement paisible, idéal pour les amateurs de tranquillité et de nature. À proximité, les commodités sont accessibles, avec notamment un compteur d'eau déjà installé, l'électricité disponible le long de la route à raccorder, et la possibilité d'aménager un assainissement individuel. Doté d'une façade de 58m et d'une largeur de 21m, ce terrain clôturé sur ses côtés offre une belle parcelle à exploiter. Prêt à accueillir un projet de construction, il bénéficie d'un agréable cadre verdoyant. Offrant une belle potentialité, ce terrain constitue un cadre propice pour réaliser un projet immobilier sur mesure, dans un environnement préservé à quelques pas des facilités indispensables pour un quotidien confortable. Les informations sur les risques auxquels ce bien est exposé sont disponibles sur le site Géorisques : Prix de vente : 20 000 € Honoraires charge vendeur Contactez votre conseiller SAFTI : Stéphane BATAILLE, Tél. : 07 62 62 86 72, E-mail : stephane.bataille@safti.fr - EI - Agent commercial immatriculé au RSAC de POITIERS sous le numéro 888 617 370.
À savigny sous faye, terrain plat à bâtir au calme sans vis à vis situé dans un environnement calme. Il est non viabilisé mais tous les raccordements se feront à proximité sur la rue (assainissement individuel) (13.33 % d'honoraires ttc à la charge de l'acquéreur.).
Iad france - thomas bonnin vous propose : au calme, terrain à bâtir de 515 m², situé à thurageau. Le terrain n'est pas viabilisé. Assainissement individuel à prévoir honoraires d'agence à la charge du vendeur. Bien non soumis au dpe. Les informations sur les risques auxquels ce bien est exposé, y compris l'obligation légale de débroussaillement, sont disponibles sur le site géorisques : la présente annonce immobilière a été rédigée sous la responsabilité éditoriale de m thomas bonnin mandataire indépendant en immobilier (sans détention de fonds), agent commercial de la sas i@d france immatriculé au rsac de poitiers sous le numéro 913227203, titulaire de la carte de démarchage immobilier pour le compte de la société i@d france sas.
Mirebeau est une charmante commune de la Vienne, en région Nouvelle-Aquitaine. Situé à la croisée des trois anciennes provinces de l'Anjou, de la Touraine et du Poitou, ce territoire authentique vous offrira le calme et la douceur de vivre. Mirebeau est aussi une petite ville dynamique qui dispose de deux écoles élémentaires, d'un collège et d'associations sportives, culturelles, de loisirséducatifs et humanitaires. Vous trouverez également tous les commerces et services, pharmacie, supermarchés et zones commerciales. Poitiers et Châtellerault sont à 30 min. Vous avez un projet de construction ? Nous vous proposons de venir découvrir ce beau terrain constructible de 1800 m². Il se trouve à 2 min du centre-ville et de toutes les commodités. Il vous permettra de construire votre maison et d'aménager un bel extérieur. N'hésitez pas à nous contacter pour planifier une visite !
À vendre terrain viabilisé situé dans un cadre paisible, idéal pour la construction de votre future maison ou pour un investissement locatif. Entièrement viabilisé avec eau, tout à l'égout, et compteur électrique en bordure de terrain. À 5 minutes de mirebeau, 15 min neuville de poitou, 30 minutes de poitiers. - 859 m² - cœur de bourg - mini lotissement en campagne ce terrain est parfait pour les personnes à la recherche d'un joli emplacement pour un projet de construction. Opportunité rare. Deux autres lots sont également disponibles (un de 554 m² et un autre de 541 m²). Les honoraires sont à la charge du vendeur. Les informations sur les risques auxquels ce bien est exposé sont disponibles sur le site géorisques : www. Georisques. Gouv. Fr. Réseau immobilier capifrance - votre agent commercial (rsac n°928 637 503 - greffe de poitiers) anais farvault entrepreneur individuel 06 76 12 59 35 - réf. 879502.
Terrain constructible et viabilisé de 436 m² dans une rue calme de vendeuvre du poitou les informations sur les risques auxquels ce bien est exposé sont disponibles sur le site géorisques : prix de vente : 35 000 € honoraires charge vendeur contactez votre conseiller safti : thierry lefebvre, tél. : 06 14 97 52 03, e-mail : thierry.lefebvre@safti.fr - ei - agent commercial immatriculé au rsac de poitiers sous le numéro 398 525 600.
Terrain constructible de 2400 m² monts-sur-guesnes (86420) à vendre : beau terrain plat de 2400 m², situé dans un environnement calme et verdoyant à monts-sur-guesnes, à proximité immédiate des écoles, commerces et services. Dimensions approximatives : 24 mètres de façade 113 mètres de profondeur idéal pour construire votre maison familiale, avec de l'espace pour jardin, garage atouts du terrain : divisible en 2 lots : possibilité de revente ou projet à deux viabilisation facile : eau et électricité en bordure, tout-à-l'égout dans la rue libre de constructeur : vous construisez avec qui vous voulez, à votre rythme prix au m² très attractif, rare sur le secteur ! Contactez-moi pour plus d'informations ou organiser une visite. Opportunité à saisir rapidement ! Les informations sur les risques auxquels ce bien est exposé sont disponibles sur le site géorisques : prix de vente : 20 000 € honoraires charge vendeur contactez votre conseiller safti : stéphane bataille, tél. : 07 62 62 86 72, e-mail : stephane.bataille@safti.fr - ei - agent commercial immatriculé au rsac de poitiers sous le numéro 888 617 370.
Au coeur de chabournay, terrain magnifiquement exposé sud, calme, paisible, avec une vue splendide sur la nature. Aux portes de jaunay marigny et du futuroscope ! Belle surface à exploité pour un beau projet de construction ! À saisir prix : 44000 €. Sur ce terrain de 1095 m² à chabournay, maisons bebium vous propose de réaliser une maison neuve bioclimatique prête à habiter. Maisons bebium vous propose les prestations suivantes : - maison clé en main de 2 à 4 chambres - pièce de vie vaste et lumineuse - baie vitrée de 3 m - cuisine aménagée ouverte sur le salon (coloris au choix) - salle d’eau équipée - sol posé - peinture plafond terminé et 1ère couche sur les murs - wc suspendu et séparé - maison connectée et intelligente - mode de chauffage au choix - accompagnement dans toutes les démarches de votre projet. Toutes nos constructions sont conformes avec la nouvelle re 2020. Contactez morgane planes au 06 85 36 99 41 ou au 05 16 39 71 56 (maisons bebium - nouvelle aquitaine - agence de poitiers). Prix hors frais de notaire. Terrain sélectionné et vu pour vous sous réserve de disponibilité et au prix indiqué par notre partenaire foncier. Conditions de cette annonce et visuels non contractuels. Cette annonce a été créée et diffusée avec le logiciel vitahome.
Iad France - Léa Lamarche vous propose : Opportunité Rare - Terrain à Bâtir de 1515 m² à Amberre, à Proximité de Toutes les Commodités ! Vous rêvez de construire la maison de vos rêves dans un cadre paisible et verdoyant ? Ne cherchez plus, ce terrain à bâtir de 1515 m² situé à Amberre est l'opportunité qu'il vous faut ! Proche de toutes les commodités, ce terrain offre un emplacement idéal pour réaliser votre projet immobilier. Avec une surface généreuse, ce terrain vous permettra de laisser libre cours à votre imagination pour concevoir la maison qui vous ressemble. Que ce soit une maison contemporaine, traditionnelle, ou même écologique, vous pourrez créer un lieu de vie qui répond parfaitement à vos besoins et à vos envies. Situé dans un environnement calme et préservé, ce terrain offre un cadre de vie paisible, idéal pour les familles ou les personnes en quête de tranquillité. Vous pourrez profiter d'un jardin spacieux, d'un espace extérieur pour vos moments de détente et de convivialité. Ne manquez pas cette occasion unique de construire la maison de vos rêves sur ce terrain à bâtir exceptionnel à Amberre. Contactez-nous dès maintenant pour plus d'informations et pour organiser une visite sur place. Votre projet immobilier commence ici ! Honoraires d'agence à la charge du vendeur. Bien non soumis au DPE. Les informations sur les risques auxquels ce bien est exposé, y compris l'obligation légale de débroussaillement, sont disponibles sur le site Géorisques : La présente annonce immobilière a été rédigée sous la responsabilité éditoriale de Mme Léa Lamarche mandataire indépendant en immobilier (sans détention de fonds), agent commercial de la SAS I@D France immatriculé au RSAC de POITIERS sous le numéro 941786618, titulaire de la carte de démarchage immobilier pour le compte de la société I@D France SAS.
Situé à Jaunay-Marigny (86130), dans le petit village de Train, ce terrain constructible offre un cadre de vie privilégié en pleine campagne, propice à la tranquillité et à un environnement naturel préservé. La commune de Jaunay-Clan bénéficie de la proximité de commodités telles que des écoles, commerces, et services, assurant un quotidien pratique pour les futurs résidents. De plus, sa localisation permet un accès rapide aux axes routiers principaux, facilitant les déplacements vers les villes avoisinantes. Cette parcelle non viabilisée mais reliée au tout-à-l'égout offre aux acquéreurs la possibilité de réaliser leur projet immobilier sur un terrain généreux de 1450 m². Un véritable potentiel de construction pour une résidence personnalisée, bénéficiant d'un environnement calme et préservé. Sa surface permet d'envisager divers aménagements extérieurs et espaces verts, offrant un cadre de vie harmonieux en pleine nature. Les informations sur les risques auxquels ce bien est exposé sont disponibles sur le site Géorisques : Prix de vente : 53 000 € Honoraires charge vendeur Contactez votre conseiller SAFTI : Isabelle SAPIN, Tél. : 06 63 41 42 61, E-mail : isabelle.sapin@safti.fr - EI - Agent commercial immatriculé au RSAC de Poitiers sous le numéro 517674040.
Situé à Jaunay-Clan (86130), à quelques kilomètres du centre-ville, ce terrain constructible de 957 m² offre l'opportunité de bâtir la maison de vos rêves dans un cadre paisible et verdoyant. Niché dans un quartier résidentiel recherché, cette parcelle bénéficie d'un environnement calme et sécurisé, idéal pour les familles en quête de sérénité. La commune propose un cadre de vie agréable, à proximité de commerces locaux, d'établissements scolaires réputés et de divers équipements sportifs et culturels, offrant ainsi un quotidien pratique et dynamique. Ce terrain non viabilisé de 957 m² représente une toile blanche pour concrétiser votre projet immobilier sur-mesure. Sa superficie généreuse offre de multiples possibilités d'aménagement, permettant la réalisation d'une habitation spacieuse avec un jardin arboré, une piscine ou tout autre aménagement extérieur de votre choix. Profitez de cette opportunité rare pour construire la maison qui vous ressemble. Les informations sur les risques auxquels ce bien est exposé sont disponibles sur le site Géorisques : Prix de vente : 53 000 € Honoraires charge vendeur Contactez votre conseiller SAFTI : Isabelle SAPIN, Tél. : 06 63 41 42 61, E-mail : isabelle.sapin@safti.fr - EI - Agent commercial immatriculé au RSAC de Poitiers sous le numéro 517674040.
Capifrance, avec vanessa aubert et philippe touzalin uniquement, vous propose sur la commune de beaumont st cyr, une commune agréable et bien équipée avec toutes les commodités. Entre châtellerault et poitiers ( à 13 min de la gare tgv chasseneuil-du-poitou : paris à 1h30), ce beau terrain à bâtir d'une superficie de 1069 m², façade de 12 m environ, est à viabiliser avec les réseaux en bordure. Certificat d'urbanisme ok. Idéal pour y construire la maison de vos rêves ! Contactez nous sans plus attendre, disponible du lundi au samedi. Les honoraires sont à la charge du vendeur. Les informations sur les risques auxquels ce bien est exposé sont disponibles sur le site géorisques : www. Georisques. Gouv. Fr. Réseau immobilier capifrance - votre agent commercial (rsac n°912 735 768 - greffe de poitiers) philippe touzalin entrepreneur individuel 06 20 66 19 06 - réf. 879436.
L'agence NOVIO vous présente à la vente sur la commune de Beaumont Saint-Cyr (86) : Un grand terrain à bâtir d'une superficie totale de 2 600 m² environ situé en zone Ub (constructible). Ce terrain offre une vue magnifique sur la vallée du Clain. À noter qu'il est en pente sur la partie arrière mais que la partie la plus à l'avant (coté rue) soit 800 m² environ, est assez plane. Ce terrain est vendu non viabilisé, des réseaux sont en bordure de la parcelle. Le tout à l'égout est dans la rue. Ce terrain comporte également d'anciennes constructions en pierre et des caves. Possibilité de les rénover en dépendances, gites, ateliers. Situé à proximité des commodités et des commerces (boulangerie, restaurant, tabac. ) Environnement calme et agréable. Prix de vente de ce bien : 69 990€ HAI, dont 4 990€ TTC d'honoraires d'agence à charge acquéreur représentant 7.68% du prix de vente net vendeur (soit un prix net vendeur de 65 000€). Les informations sur les risques auxquels ce bien est exposé sont disponibles sur le site georisques. gouv. fr. Opportunité à saisir ! Retrouvez tous nos biens disponibles sur notre site internet : REF 0061 Bien présenté faisant l'objet de deux mandats de vente : Mandat 0061 : Parcelles de 1564 m², au prix HAI de 53 333 € dont 3 333 € TTC d'honoraires d'agence à charge acquéreur (50 000 € net vendeur) et mandat 0065 : parcelles de 1035 m², au prix HAI de 16 657 € HAI, dont 1 657 € TTC d'honoraires d'agence à charge acquéreur (15 000 € net vendeur).
Iad France - Celine Berton vous propose : Opportunité à saisir - Terrain constructible de 1198 m² à Braye-sous-Faye, à 3 kms de Richelieu Vous rêvez de construire la maison de vos rêves dans un cadre paisible et verdoyant ? Ne cherchez plus, ce terrain constructible de 1198 m² à Braye-sous-Faye est l'opportunité qu'il vous faut ! Situation idéale : Ce terrain se situe dans une impasse d'un lotissement calme, offrant un cadre de vie agréable et propice à la détente. Vous pourrez profiter de la tranquillité de la campagne tout en étant à proximité des axes routiers. Viabilité : Le terrain est viabilisé, relié au réseau électrique et d'eau potable existant. Vous pourrez entamer rapidement la construction de votre future maison sans contrainte. De plus, l'accès des camions pour les travaux est facilité, vous assurant une mise en OEuvre efficace de votre projet. Potentiel de construction : Ce terrain plat et en partie clôturé offre de nombreuses possibilités en termes de conception et d'aménagement. Laissez libre cours à votre imagination pour créer le foyer chaleureux qui vous ressemble. La dernière photo est une suggestion et n'est pas contractuelle Opportunité rare : Les terrains de cette qualité et de cette superficie sont rares sur le marché. Ne laissez pas passer cette occasion unique de concrétiser votre projet de construction Contactez-moi dès maintenant pour en savoir plus sur ce terrain et commencer à construire la maison de vos rêves ! Honoraires d'agence à la charge du vendeur. Bien non soumis au DPE. Les informations sur les risques auxquels ce bien est exposé, y compris l'obligation légale de débroussaillement, sont disponibles sur le site Géorisques : La présente annonce immobilière a été rédigée sous la responsabilité éditoriale de Mme Celine Berton mandataire indépendant en immobilier (sans détention de fonds), agent commercial de la SAS I@D France immatriculé au RSAC de Tours sous le numéro 907430904, titulaire de la carte de démarchage immobilier pour le compte de la société I@D France SAS.
L'agence NOVIO vous présente à la vente sur la commune de Naintré (86), dans un quartier résidentiel calme : Un terrain à bâtir d'une superficie totale de 835 m². Ce terrain offre un accès direct sur la route. Ce terrain est vendu non viabilisé, les réseaux (eau, électricité et gaz, tout à l'égout) sont en bordure de la parcelle. La fibre optique est également présente dans la rue. Ce terrain donne à l'arrière sur des terrains agricoles (non constructibles), vous offrant un cadre agréable tourné vers la campagne. Prix de vente de ce bien : 36 333€ HAI, dont 3 333€ TTC d'honoraires d'agence forfaitaires à charge acquéreur en plus du prix de vente net vendeur (33 000€) Opportunité à saisir ! Les informations sur les risques auxquels ce bien est exposé sont disponibles sur le site georisques. gouv. fr. Retrouvez tous nos biens disponibles sur notre site internet : REF 0087.
Secteur calme et résidentiel aux portes du futuroscope et à 15min du centre ville de poitiers. Terrains viabilisés, plat, très bien exposés. À saisir ! Prix : 37500 €. Sur ce terrain de 408 m² à jaunay-marigny, maisons bebium vous propose de réaliser une maison neuve bioclimatique prête à habiter. Maisons bebium vous propose les prestations suivantes : - maison clé en main de 2 à 4 chambres - pièce de vie vaste et lumineuse - baie vitrée de 3 m - cuisine aménagée ouverte sur le salon (coloris au choix) - salle d’eau équipée - sol posé - peinture plafond terminé et 1ère couche sur les murs - wc suspendu et séparé - maison connectée et intelligente - mode de chauffage au choix - accompagnement dans toutes les démarches de votre projet. Toutes nos constructions sont conformes avec la nouvelle re 2020. Contactez morgane planes au 06 85 36 99 41 ou au 05 16 39 71 56 (maisons bebium - nouvelle aquitaine - agence de poitiers). Prix hors frais de notaire. Terrain sélectionné et vu pour vous sous réserve de disponibilité et au prix indiqué par notre partenaire foncier. Conditions de cette annonce et visuels non contractuels. Cette annonce a été créée et diffusée avec le logiciel vitahome.
Situé sur la commune de jaunay-marigny secteur calme et résidentiel aux portes du futuroscope et à 15min du centre ville de poitiers terrain viabilisé, plat et exposé sud plusieurs terrains sont à vendre sur ce lotissement prix : 39400 €. Sur ce terrain de 428 m² à jaunay-marigny, maisons bebium vous propose de réaliser une maison neuve bioclimatique prête à habiter. Maisons bebium vous propose les prestations suivantes : - maison clé en main de 2 à 4 chambres - pièce de vie vaste et lumineuse - baie vitrée de 3 m - cuisine aménagée ouverte sur le salon (coloris au choix) - salle d’eau équipée - sol posé - peinture plafond terminé et 1ère couche sur les murs - wc suspendu et séparé - maison connectée et intelligente - mode de chauffage au choix - accompagnement dans toutes les démarches de votre projet. Toutes nos constructions sont conformes avec la nouvelle re 2020. Contactez morgane planes au 06 85 36 99 41 ou au 05 16 39 71 56 (maisons bebium - nouvelle aquitaine - agence de poitiers). Prix hors frais de notaire. Terrain sélectionné et vu pour vous sous réserve de disponibilité et au prix indiqué par notre partenaire foncier. Conditions de cette annonce et visuels non contractuels. Cette annonce a été créée et diffusée avec le logiciel vitahome.
Champigny-en-rochereau, hors lotissement. Terrain à bâtir de 621 m² viabilisé en eau (compteur) et assainissement (tabouret tout à l'égout) électricité et fibre optique en limite de propriété. Exposition sud-ouest. Pas de vis-à-vis, dans une rue calme et non bruyante. Ancien jardin au cœur du village donc pas de construction à venir à proximité. Certificat d'urbanisme opérationnel positif pour une maison à usage d'habitation de 150 m² environ. Contactez moi si vous souhaitez en savoir davantage. Les honoraires sont à la charge du vendeur. Les informations sur les risques auxquels ce bien est exposé sont disponibles sur le site géorisques : www. Georisques. Gouv. Fr. Réseau immobilier capifrance - votre agent commercial (rsac n°790 136 352 - greffe de poitiers) jérôme roulet entrepreneur individuel 06 03 56 83 81 - réf. 898001.
Situé sur la commune de jaunay-marigny secteur calme et résidentiel aux portes du futuroscope et à 15min du centre ville de poitiers terrain viabilisé, plat et exposé sud plusieurs terrains sont à vendre sur ce lotissement prix : 47102 €. Sur ce terrain de 574 m² à jaunay-marigny, maisons bebium vous propose de réaliser une maison neuve bioclimatique prête à habiter. Maisons bebium vous propose les prestations suivantes : - maison clé en main de 2 à 4 chambres - pièce de vie vaste et lumineuse - baie vitrée de 3 m - cuisine aménagée ouverte sur le salon (coloris au choix) - salle d’eau équipée - sol posé - peinture plafond terminé et 1ère couche sur les murs - wc suspendu et séparé - maison connectée et intelligente - mode de chauffage au choix - accompagnement dans toutes les démarches de votre projet. Toutes nos constructions sont conformes avec la nouvelle re 2020. Contactez morgane planes au 06 85 36 99 41 ou au 05 16 39 71 56 (maisons bebium - nouvelle aquitaine - agence de poitiers). Prix hors frais de notaire. Terrain sélectionné et vu pour vous sous réserve de disponibilité et au prix indiqué par notre partenaire foncier. Conditions de cette annonce et visuels non contractuels. Cette annonce a été créée et diffusée avec le logiciel vitahome.
Situé sur la commune de jaunay-marigny secteur calme et résidentiel aux portes du futuroscope et à 15min du centre ville de poitiers terrain viabilisé, plat et exposé sud plusieurs terrains sont à vendre sur ce lotissement prix : 42100 €. Sur ce terrain de 473 m² à jaunay-marigny, maisons bebium vous propose de réaliser une maison neuve bioclimatique prête à habiter. Maisons bebium vous propose les prestations suivantes : - maison clé en main de 2 à 4 chambres - pièce de vie vaste et lumineuse - baie vitrée de 3 m - cuisine aménagée ouverte sur le salon (coloris au choix) - salle d’eau équipée - sol posé - peinture plafond terminé et 1ère couche sur les murs - wc suspendu et séparé - maison connectée et intelligente - mode de chauffage au choix - accompagnement dans toutes les démarches de votre projet. Toutes nos constructions sont conformes avec la nouvelle re 2020. Contactez morgane planes au 06 85 36 99 41 ou au 05 16 39 71 56 (maisons bebium - nouvelle aquitaine - agence de poitiers). Prix hors frais de notaire. Terrain sélectionné et vu pour vous sous réserve de disponibilité et au prix indiqué par notre partenaire foncier. Conditions de cette annonce et visuels non contractuels. Cette annonce a été créée et diffusée avec le logiciel vitahome.